Orlando International Airport in Florida Florida airports - Orlando International Airport
Orlando International Airport in Florida - United States
Florida Airports
USA Airports
World Airports
Airport photos - free!
Aircraft photos - free!
Spacecraft pics - free!
Aviation Articles

Orlando International Airport



Orlando International Airport
January 6, 1999
IATA: MCO – ICAO: KMCO – FAA LID: MCO

+
Orlando
International Airport
Location of MCO
Summary
Airport type Public
Owner Greater Orlando Aviation Authority (GOAA)
Serves Orlando, Florida, USA
Location Orlando, Florida, USA
Hub for AirTran Airways
Elevation AMSL 96 ft / 29 m
Coordinates 28°25′46″N 081°18′32″W / 28.42944°N 81.30889°W / 28.42944; -81.30889Coordinates: 28°25′46″N 081°18′32″W / 28.42944°N 81.30889°W / 28.42944; -81.30889
Website http://www.orlandoairports.net
Runways
Direction Length Surface
ft m
17L/35R 9,000 2,743 Concrete
17R/35L 10,000 3,048 Concrete
18L/36R 12,005 3,659 Asphalt/Concrete
18R/36L 12,004 3,659 Concrete
Helipads
Number Length Surface
ft m
H1 44 13 Concrete
Statistics (2006/2007)
Aircraft operations 391,745 (2006)
Passengers 36,385,300 (2007)
Source: Aircraft operations: Federal Aviation Administration
Passengers: Airports Council International
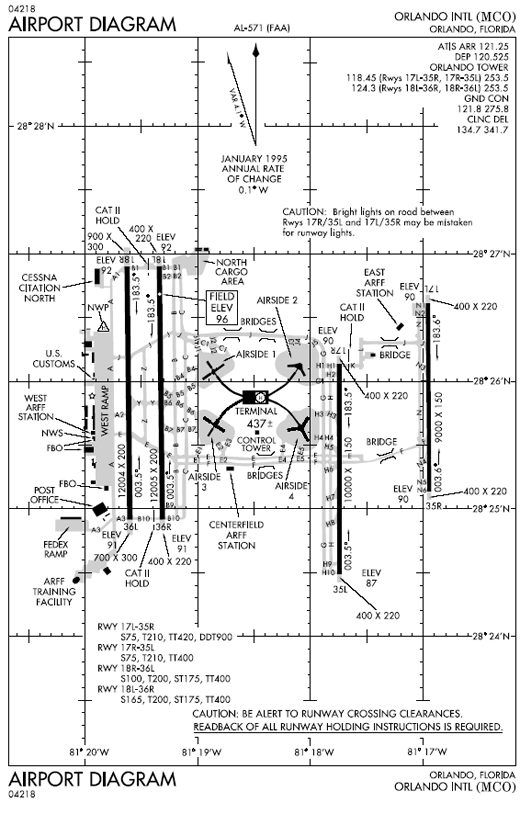
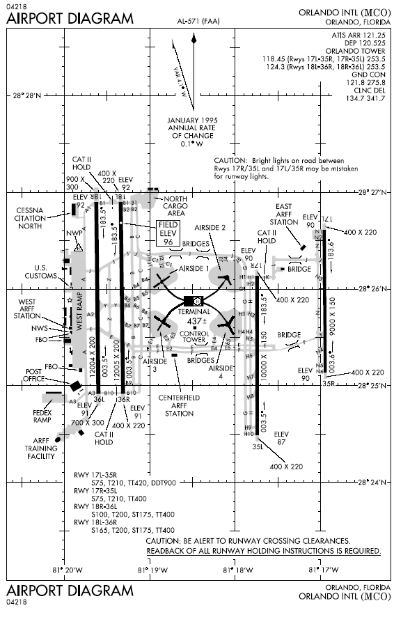
FAA diagram of Orlando International Airport (MCO)

Orlando International Airport (IATA: MCO, ICAO: KMCO, FAA LID: MCO) is a major international airport located six nautical miles (11 km) southeast of the central business district of Orlando. It is the second busiest airport in Florida, after Miami International Airport. It is the 13th busiest airport in the United States and the 27th busiest airport in the world by passenger traffic.

The airport serves as a hub for AirTran Airways and a focus city for Southwest Airlines, JetBlue Airways, and Allegiant Air. The airport hosts AirTran's corporate headquarters and operations center, though the airline maintains its main hub of operations at Hartsfield-Jackson Atlanta International Airport in Atlanta, Georgia. Southwest Airlines is currently the airport's largest carrier in terms of passengers traveled; SWA carried one-fifth of all passenger traffic at MCO in 2006..

The airport code MCO stands for the airport's former name, McCoy Air Force Base, a Strategic Air Command (SAC) installation named for Colonel Michael Norman Wright McCoy, USAF, commander of the 321st Bombardment Wing at the then-Pinecastle Air Force Base. Col McCoy died in the crash of a B-47 Stratojet during the annual Strategic Air Command (SAC) Bombing and Navigation Competition that was held at the base in 1957. Pinecastle AFB was later renamed McCoy AFB in his honor the following year. McCoy AFB later became home to the 306th Bombardment Wing operating the B-52 Stratofortress and the KC-135 Stratotanker. In the early 1960s, with the advent of commercial jet airline service to the Orlando area, the installation became a joint civil-military facility. Following the Vietnam War, McCoy AFB was identified for closure and all permanent party Air Force flight operations ceased in early 1975. The facility was briefly known as Orlando-McCoy Jetport until being renamed as Orlando International Airport.

The Greater Orlando area is also served by Orlando Sanford International Airport (SFB), and more indirectly by Daytona Beach International Airport (DAB), Melbourne International Airport (MLB), and Tampa International Airport (TPA).

History

Before 1974, the land the airport now sits on was largely owned by the United States Air Force, which operated an air force base there. The facility was originally constructed during World War II as Pinecastle Army Airfield, an auxiliary airfield to the then-Orlando Army Air Base, now known as Orlando Executive Airport. At the end of the war, Pinecastle was briefly used for unpowered glide tests of the Bell X-1 from B-29 aircraft before being relocated to Muroc Army Airfield, now Edwards AFB, California for the world's first supersonic flight. Briefly placed in caretaker status, the base was reactivated during the Korean War for development as a Strategic Air Command (SAC) facility for B-47 Stratojet and KC-97 Stratotanker aircraft. Renamed Pinecastle AFB, the base was later known as McCoy Air Force Base (AFB), operating B-52 Stratofortress bombers, KC-135 Stratotanker air refueling and EC-121 Warning Star airborne early warning aircraft.

During the Cuban Missile Crisis in October 1962, McCoy AFB became the primary forward operating base for U-2 reconnaissance aircraft and associated Cuban overflight operations, as well as a forward operating base for over 120 F-100 Super Sabre and F-105 Thunderchief fighter bombers. The only fatality of the crisis, Major Rudolf Anderson, Jr., USAF, was killed when his U-2 was shot down by multiple Soviet-operated SA-2 Guideline surface-to-air missiles near Banes, Cuba. Major Anderson's final sortie originated at McCoy AFB. Following the crisis, McCoy AFB continued to host a permanent U-2 operating detachment of the 100th Strategic Reconnaissance Wing until 1973.

With the arrival of the first-generation commercial jetliners such as the Boeing 707, Boeing 720, Douglas DC-8 and Convair 880, the length and weight-bearing capability of the runways of the former Orlando Army Air Base, now Orlando's Herndon Airport, were inadequate for continuation of commercial airline service. With Herndon Airport hemmed in by lakes and commercial and residential development, further expansion was impractical, and an agreement was reached between the City of Orlando and the U.S. Air Force in 1962 for the use of McCoy AFB under a joint civil-military airport arrangement. The military offered a large AGM-28 Hound Dog missile maintenance hangar and its associated flight line ramp area in the northeast corner of the installation for conversion into a civilian air terminal for the city. The city would then cover the cost of building a replacement missile maintenance hangar on the main base's western flight line. Once executed, the new civilian facility would be known as the Orlando Jetport at McCoy and would operate alongside McCoy AFB. This agreement became a model for other joint civil-military airports in operation today.

Commercial airline service to the new Orlando Jetport at McCoy began in late 1961 or early 1962, per the city and USAF agreement; over the next few years commercial flights shifted from the old Herndon Airport, now the Orlando Executive Airport (ICAO Code KORL/FAA Code ORL). By 1971, regular scheduled airline operations were conducted by Delta Air Lines, and the former Eastern Air Lines, National Airlines and Southern Airways.

McCoy AFB was identified for closure in early 1973 as part of a post-Vietnam reduction in force. The following year, McCoy's 306th Bombardment Wing was inactivated, its B-52D Stratofortress and KC-135A Stratotanker aircraft reassigned to other SAC units and most of the McCoy facility turned over to the City of Orlando by the General Services Administration (GSA) in late 1974 and early 1975. A portion of the facility was retained under military control to support Naval Training Center Orlando and several Reserve and National Guard units.

In 1975, the final Air Force contingent departed McCoy and the Greater Orlando Aviation Authority (GOAA) was established as a state-chartered governmental agency and an enterprise fund of the City of Orlando. GOAA's mission was to operate, manage and oversee construction of expansions and improvements to both the Orlando International Airport and the Orlando Executive Airport. The airport gained its current name and international airport status a year later in 1976, but retained its old IATA airport code MCO and ICAO airport code KMCO.

The airport became a U.S. Customs Service Foreign Trade Zone (FTZ) in 1978, said zone being designated as FTZ #42. In 1979, the facility was also designated as a large hub airport by the FAA based on flight operations and passenger traffic.

In 1978, construction of the current Landside Terminal and Airsides 1 and 3 began, opening in 1981. The original International Concourse was housed in Airside 1 and opened in 1984. Funding to commence developing the east side of the airport was bonded in 1986, with Runway 17/35 (now 17R/35L) completed in 1989. Airside 4 opened in 1990 and also contains an International Concourse for the processing of international flights. Airside 2, which filled out what will become known as the North Terminal complex, was completed in 2000, with the last additional gates added in 2006. Runway 17L/35R was opened in 2003, providing the airport with a total of four runways.

In 1978, MCO handled 5 million passengers. By 2000, that number had soared to 30 million. Today, MCO covers 23 square miles (60 km²), and is the third-largest airport in the United States by area (after Denver and Dallas-Fort Worth International Airport). MCO also has North America's second tallest control tower, replacing two earlier Air Force and FAA control towers.

MCO is a designated Space Shuttle emergency landing site. The west-side runways, also known as Runway 18L/36R and Runway 18R/36L, were designed to accommodate B-52 Stratofortress bombers and due to their proximity to NASA's John F. Kennedy Space Center, were an obvious choice for an emergency landing should an emergency "return to launch site (RTLS) attempt to land at KSC fall short. The runway is also an emergency divert site for NASA's Boeing 747 Shuttle Transport Aircraft when relocating orbiters from either west coast modification work or divert recoveries at Edwards AFB, California or the White Sands Missile Range, New Mexico.

Eastern Air Lines used Orlando as a hub during the 1970s and early 1980s, and became "the official airline of Walt Disney World." Following Eastern's demise, Delta Air Lines assumed this role, although it later pulled much of its large aircraft operations from Orlando, and focused its service there on regional jet flights, specifically with Atlantic Southeast Airlines, Comair and Chautauqua Airlines - all part of the Delta Connection system. All Delta Connection service ended September 30, 2008. However, after the merger with Northwest, Delta Connection service to Grand Rapids started.

In 2004, Hurricane Charley caused minor damage to the airport when it struck on the evening of August 13, mostly in the form of shattered terminal windows. Normal service resumed as soon as the weather cleared.

On February 22, 2005, MCO became the first airport in Florida to accept E-Pass and SunPass toll transponders as a form of payment for parking. The system allows drivers to enter and exit a parking garage without pulling a ticket or stopping to pay the parking fee. The two toll roads that serve the airport, SR 528 (Beachline Expressway) and SR 417 (Central Florida GreeneWay), use these systems for automatic toll collection.

In October 2006, MCO opened a 100-space Cell Phone Parking Lot for drivers to use while waiting for passengers to arrive. The lot is set up as a free Wi-Fi Hotspot, enabling drivers to use their mobile devices to access the Internet, check e-mail, and monitor flight status. Around the same time MCO opened an Express Pickup service at each terminal allowing drivers to park their vehicles temporarily at a secure location just outside of baggage claim and meet their arriving party in person. A fee is charged for this service and is only available to E-Pass and SunPass users.

In late 2007, German-based Lufthansa airlines expanded to include new routes to Frankfurt, Germany from Orlando International Airport. The new Orlando–Frankfurt route was celebrated by airport and airline officials as a major breakthrough in International travel for Orlando International. Lufthansa's Frankfurt hub provides key connections to destinations across Europe and the Eastern hemisphere.

On March 19, 2008, JetBlue announced the addition of Orlando as a new focus city. Orlando will now serve as a key connecting city to international destinations in the Caribbean, Mexico, and South America. New international routes from Orlando International Airport include Cancun, Mexico, Bogotá, Colombia, and Santo Domingo, Dominican Republic. In addition to new routes, the airline will also continue significant expansion of operations at Orlando International Airport including 292-room lodge that will house trainees attending the adjacent "JetBlue University" training facility. Since the announcement, however, the crew lodge has been canceled.

The original terminal building, a converted hangar, was described as inadequate for the task at hand even when it was first opened as Orlando Jetport. After its closure in 1981, it passed through several tenants, the last of which was UPS. It was demolished in May of 2006.

On February 1, 2010, MCO became a focus city for low-cost airline Allegiant Air, who moved operations from Orlando Sanford International Airport in order to be closer to top Orlando attractions such as Walt Disney World.

Current structure and function


View of the East Atrium, showing the on-site hotel rooms of the Hyatt Regency
View of the East Atrium, showing the on-site hotel rooms of the Hyatt Regency

Tramway
Tramway

The Orlando International Airport consists of a hub-and-spoke layout with a large main terminal building and four airside concourses accessible via elevated tram systems or people movers. The main terminal building is divided into two terminals; A and B. There are passenger check-in and baggage claim facilities on both the building's north side (Terminal A), and on the building's south side (Terminal B). Both terminals share two security checkpoints, one in the West Hall leading to Airsides 1 and 2, and another in the East Atrium, leading to Airsides 3 and 4.

Airside 4 currently serves as the airport's primary international arrivals concourse, however Airside 1 also handles some international arrivals. Arriving international passengers who require immigration and/or customs clearance are processed through those checkpoints in the airside terminal where they arrive. After clearing US immigration, passengers collect their baggage and clear US customs. After clearing customs, international passengers must ride the people mover to the main terminal. Airside 4 provides escalator access directly from the customs hall to the people mover platform. This has eliminated the requirement for arriving international passengers to go through a security inspection between the customs area and the people mover, and as a result they now have the option of bringing their checked baggage with them on the people mover. Alternatively, passengers also have the option of placing their baggage on a transfer belt in the customs hall for transport to the main terminal's baggage claim. Only those passengers who are connecting to a flight in Airside 4 and airport employees, will need to go through security upon exiting customs.

The airport features a unique on-site Hyatt Regency hotel within the main terminal structure. The hotel is located on the East Atrium side of the terminal with a fourth floor lobby level and guest rooms beginning on level five and above. The airport features an expansive lobby area for guests awaiting flights, convention space, several bars, and two restaurants including a signature restaurant on the top level of the terminal building overlooking the airport facility and runways below.

Terminal A

Major carriers based in Terminal A include Southwest Airlines, JetBlue Airways, American Airlines, and several international carriers including Air Canada, Aer Lingus, Aeromexico, Martinair, GOL, Volaris, Interjet, and Copa Airlines. However, the majority of international arrivals at Orlando International Airport are processed by Airside 4.

Airside 1

  • Gates 1-17 and 20-28
  • Secondary International Arrivals Concourse
  • Part of original terminal, Opened in 1981

Airside 2

  • Gates 101-106, 110-112 and 120-126
  • Hub Concourse for Southwest Airlines and Jetblue Airways (except for International Flights, which depart from Airside 4)

Terminal B

Major carriers based in Terminal B include AirTran Airways, Continental Airlines, Delta Air Lines, United Airlines, US Airways and major international carriers including British Airways, Lufthansa, and Virgin Atlantic. Airside 4 serves as the airport's primary international arrivals concourse.

Airside 3

  • Gates 30-48 and 50-59
  • United Airlines Red Carpet Club
  • Part of original terminal, opened in 1981

Airside 4

  • Gates 60, 70-78, 80-87 and 90-97
  • Primary International Arrivals Concourse
  • Delta Air Lines Sky Club
  • Hub Concourse for AirTran Airways

Notable services

Virgin Atlantic, with their Boeing 747 service to Orlando, is currently the largest aircraft type operator at the airport. The airline offers multiple daily flights into Orlando from the UK. During peak travel seasons, up to five Virgin 747's may be at Orlando's gates at a single time. British Airways also directly competes with Virgin on the London Gatwick route currently operating up to ten flights per week on Boeing 777s.

Lufthansa opened a gate in Orlando on October 30, 2007, providing the first direct link between Orlando and a hub in continental Europe (in this case, Frankfurt, Germany) as part of a regional effort to diversify the local economy beyond tourism and meet growing demand for such route. As of late October 2009, Lufthansa expanded their five flights a week to daily flights between MCO and Frankfurt Airport on Airbus A330s and Airbus A340s, providing connections throughout Europe.

On June 7, 2011, Air France will begin service from Orlando to Paris-Charles De Gaulle using the Boeing 777-300ER.

The Airbus A380, the world's largest airliner, landed at MCO on November 14, 2007 from Montreal. Orlando was one of the first airports in the world to be "Airbus A380 ready".

Airlines and destinations

NOTE: See Current Structure and Function above for terminal details.

Airlines Destinations Airside
Aer Lingus Dublin 1
Aeroméxico Mexico City 4
Air Canada Montréal-Trudeau, Toronto-Pearson
Seasonal: Halifax, Ottawa
1
Air France Paris-Charles de Gaulle [begins June 7] 4
AirTran Airways Akron/Canton, Allentown, Aruba, Asheville, Atlanta, Atlantic City, Baltimore, Bloomington/Normal, Branson (MO), Buffalo, Charleston (WV), Charlotte, Chicago-Midway, Columbus (OH), Dallas/Fort Worth, Dayton, Des Moines, Detroit, Flint, Grand Rapids, Harrisburg, Huntsville, Indianapolis, Kansas City, Key West, Knoxville, Lexington, Milwaukee, Moline/Quad Cities, Montego Bay, Nassau, New York-LaGuardia, Newport News/Williamsburg, Philadelphia, Pittsburgh, Portland (ME), Richmond, Rochester (NY), St. Louis, San Juan, Washington-Dulles, Washington-Reagan, White Plains
Seasonal: Boston, Minneapolis/St. Paul, San Antonio, Wichita
4
Air Transat Montreal-Trudeau, Toronto-Pearson 1
Alaska Airlines Seattle/Tacoma 1
Allegiant Air Allentown/Bethlehem/Easton, Des Moines, Grand Rapids, Greenville/Spartanburg, Huntington (WV), Knoxville, Lexington (KY), Springfield (MO), Tri-Cities (TN), Youngstown (OH) 1
American Airlines Chicago-O'Hare, Dallas/Fort Worth, Los Angeles, Miami, New York-JFK 1
Bahamasair Nassau 3
British Airways London-Gatwick 4
CanJet Halifax, Montreal-Trudeau, Toronto-Pearson
Seasonal: Quebec City
1
Continental Airlines Cleveland, Houston-Intercontinental, Newark 3
Copa Airlines Panama City 1
Delta Air Lines Atlanta, Boston, Cincinnati/Northern Kentucky, Detroit, Hartford, Las Vegas, Los Angeles, Memphis, Minneapolis/St. Paul, New York-JFK, New York-LaGuardia, Salt Lake City, Washington-Reagan [begins October 31]
Seasonal: Cancùn
4
Delta Connection operated by Comair Raleigh/Durham [begins November 1] 4
Delta Connection operated by Compass Airlines Grand Rapids [seasonal] 4
Frontier Airlines Denver, Milwaukee 3
Frontier Airlines operated by Republic Airlines Seasonal: Omaha 3
Interjet Seasonal: Monterrey, Merida 1
JetBlue Airways Aguadilla, Austin, Boston, Bogotá, Buffalo, Burlington, Cancún, Hartford [begins November 17], Montego Bay, Nassau, New York-JFK, New York-LaGuardia, Newark, Newburgh, Ponce, Portland (ME), Richmond, Rochester (NY), San José de Costa Rica, San Juan, Santo Domingo, Syracuse, Washington-Dulles, Washington-Reagan [begins November 1], White Plains 2, 4
Lufthansa Frankfurt 4
Martinair Amsterdam 1
Southwest Airlines Albany, Albuquerque, Austin, Baltimore, Birmingham (AL), Buffalo, Chicago-Midway, Cleveland, Columbus (OH), Detroit, Denver, Ft Lauderdale, Ft Myers, Hartford, Houston-Hobby, Indianapolis, Jackson, Kansas City, Las Vegas, Long Island/Islip, Louisville, Manchester (NH), Milwaukee, Nashville, New Orleans, Norfolk/Virginia Beach, Panama City (FL), Philadelphia, Phoenix, Pittsburgh, Providence, Raleigh/Durham, St. Louis, San Antonio 2
Spirit Airlines Atlantic City, Detroit, Fort Lauderdale, San Juan 3
Sun Country Airlines Minneapolis/St. Paul
Seasonal: Lansing [begins December 22]
3
Sunwing Airlines Ottawa, Toronto-Pearson
Seasonal: Montreal-Trudeau
1
TACA Airlines San Salvador
Seasonal:' Guatemala City
1
TAM Airlines São Paulo-Guarulhos 4
United Airlines Chicago-O'Hare, Denver, Los Angeles, San Francisco, Washington-Dulles 3
US Airways Charlotte, Philadelphia, Phoenix, Washington-Reagan 3
US Airways Express operated by Republic Airlines Washington-Reagan 3
Virgin America Los Angeles [begins October 6] , San Francisco [begins October 6] 2
Virgin Atlantic Airways London-Gatwick, Manchester (UK)
Seasonal: Glasgow-International
4
Volaris Seasonal: Monterrey 1
WestJet Calgary, Toronto-Pearson
Seasonal: Edmonton [begins December 18] Halifax, Hamilton, London (ON), Montréal-Trudeau, Ottawa, Winnipeg
1

Airline lounges

  • Delta Air Lines Sky Club -- Located in Airside 4 on the 2nd floor of the center atrium
  • United Airlines Red Carpet Club -- Located near Gate 43 in Airside 3

Terminal expansions and renovations

Airsides 1 and 3, the terminals opened in the early 1980s, are currently undergoing major renovations. The new terminal design will incorporate a new modern architecture and feature new skylights and expanded concession areas. In addition, the terminal will be re-installed with new mechanical and electrical systems. The project is expected to be complete in both terminals by 2010.

Rental Car Quick Turnaround Facility

Two state of the art car rental facilities are currently under construction on both the norith side Terminal A and south side Terminal B. Select car rental agencies currently operate on-site car rental pickup in the ground level of the main parking garages. The new facilities will relocate the car rental pickup process to the new facility and allow additional space for off-site agencies to relocate to the on-site airport facility.

New terminal

A fifth terminal has been in the planning, however, plans to build the South Terminal complex, which initially would be dedicated to international traffic, and possibly more runways on the south side of the property, were placed on hold during the recession immediately following the September 11, 2001 attacks. However, the plans are still being considered by airport officials as soon as passenger traffic surpasses current terminal capacities. Airport officials have made it clear they will continue to expand and re-structure the existing terminals to postpone the necessity of having to build the expensive new terminal facility in the immediate future.

The large land area immediately south of the existing main terminal has been designated as the proposed new terminal area. The majority of the land is already cleared.

High Speed Train Station

As part of the Florida High Speed Rail project, the Orlando International Airport is planned to be the Orlando terminus of the initial Orlando-Tampa route along the Interstate 4 corridor. The airport has already invested considerably to accommodate the station, such as the extra length of the taxiway bridge over the southern access road.

Incidents and mishaps involving MCO

  • On January 12, 2005, a Cessna 172 misunderstood ATC instructions and turned from base onto final approach for Runway 36R in front of a Southwest Airlines 737 inbound from New York, which was about 3 miles out. After failing to contact the 172 pilot (it was later discovered that the 172 radio was not functioning) the controller instructed the Boeing 737 to make a missed approach and come back around to land on 18L. A possible accident was avoided.
  • On April 2, 1994, Continental Airlines Flight 1447, a Boeing 727-243, N59412, flying from Newark International Airport to Orlando was unable to extend its left main landing gear. After burning down to minimum fuel, the aircraft executed a partial gear up landing on Runway 18R. None of the 9 person crew or 141 passengers were injured in the mishap. The subsequent National Transportation Safety Board (NTSB) investigation revealed fatigue cracking in the left main landing gear door rib attachment fitting, the failure of which prevented the left main landing gear from fully extending.
  • On March 31, 1972, a 306th Bombardment Wing B-52D Stratofortress, Air Force Serial Number 56-0625, sustained multiple engine failures and an engine fire shortly after takeoff from McCoy AFB on a routine training mission. The aircraft was not carrying any weapons. The aircraft immediately attempted to return to the base, but crashed just short of Runway 18R in a residential area north of the airfield, destroying or damaging eight homes. The flight crew of 7 airmen and 1 civilian on the ground were killed.
  • On October 27, 1962, a 4080th Strategic Reconnaissance Wing U-2 aircraft, Air Force Serial Number 56-6676, piloted by Major Rudolf Anderson, Jr., USAF departed McCoy AFB on a Cuban overflight photo reconnaissance mission during the Cuban Missile Crisis. Major Anderson's aircraft was subsequently engaged by a Soviet-manned SA-2 surface-to-air missile (SAM) site in the vicinity of Banes, Cuba. Hit by two of three missiles fired, the U-2 was shot down over Cuba, killing Major Anderson. A week following the shootdown, Major Anderson's remains were turned over to a United Nations representative and returned to the United States. Major Anderson became the first recipient of the Air Force Cross, the Air Force's second highest decoration for valor after the Medal of Honor, which was awarded to Major Anderson posthumously.

Transportation

The Orlando International Airport provides various ground transportation options including public transit, private transportation, and car rental.

Lynx

Lynx, the local metro area public transportation system provides a sub-station at the airport with service to Downtown Orlando and other area routes.

Disney's Magical Express

A complimentary motor coach transportation service for guests staying at Walt Disney World resort hotels. The motor coach service is operated by Mears Transportation. Guests book advance reservations and receive a transportation packet with travel details and luggage tags prior to arrival at Orlando International. Checked luggage marked with the Disney luggage tags are retrieved by representatives of BAGS Incorporated and are transported to the guest's Disney resort.

Cruiseline transportation

Royal Caribbean International, Carnival Cruise Lines, Disney Cruise Line, SunCruz Casinos, Sterling Casinos and Mears Transportation all run scheduled buses from the airport to Port Canaveral for incoming cruise passengers.

Other

The community of The Villages in Sumter, Lake, and Marion counties operates a shuttle between the community and Orlando International Airport. The shuttle stops at Lake Sumter Landing and Spanish Springs.

In popular culture

Orlando International is featured in several scenes of the film Ernest Saves Christmas. During the climax an air traffic controller points out the title character on runway 27L. There is no runway 27L at the airport, but there is one at Orlando Sanford International Airport.



The above content comes from Wikipedia and is published under free licenses – click here to read more.

Orlando International Airport picture

Orlando International Airport picture
(Click on the photo to enlarge)


Orlando International Airport picture
(Click on the photo to enlarge)


Orlando International Airport picture
(Click on the photo to enlarge)


Orlando International Airport picture
(Click on the photo to enlarge)


Orlando International Airport picture
(Click on the photo to enlarge)


Location & QuickFacts

FAA Information Effective:

2007-01-18

Airport Identifier:

MCO

Airport Status:

Operational

Longitude/Latitude:

081-18-32.3750W/28-25-45.8170N
-81.308993/28.429394 (Estimated)

Elevation:

96 ft / 29.26 m (Surveyed)

Land:

13302 acres

From nearest city:

6 nautical miles SE of Orlando, FL

Location:

Orange County, FL

Magnetic Variation:

05W (2000)

Owner & Manager

Ownership:

Publicly owned

Owner:

Greater Orlando Aviation Authority

Address:

One Airport Blvd
Orlando, FL 32827-4399

Phone number:

407-825-2001

Manager:

Steve Gardner

Address:

One Airport Blvd
Orlando, FL 32827-4399

Phone number:

407-825-2001

Airport Operations and Facilities

Airport Use:

Open to public

Wind indicator:

Yes

Segmented Circle:

No

Control Tower:

Yes

Lighting Schedule:

DUSK-DAWN

Beacon Color:

Clear-Green (lighted land airport)

Landing fee charge:

No

Sectional chart:

Jacksonville

Region:

ASO - Southern

Boundary ARTCC:

ZJX - Jacksonville

Tie-in FSS:

PIE - Saint Petersburg

FSS on Airport:

No

FSS Toll Free:

1-800-WX-BRIEF

NOTAMs Facility:

MCO (NOTAM-d service avaliable)

Certification type/date:

I E S 04/2005

Federal Agreements:

NGPY

Airport Communications

Unicom:

122.950 

Airport Services

Fuel available:

100LLA

Airframe Repair:

MINOR

Power Plant Repair:

MINOR

Bottled Oxygen:

NONE

Bulk Oxygen:

NONE

Runway Information

Runway 17L/35R

Dimension:

9000 x 150 ft / 2743.2 x 45.7 m

Surface:

CONC, Good Condition

Surface Treatment:

Saw-cut or plastic Grooved

Weight Limit:

Single wheel: 75000 lbs.
Dual wheel: 210000 lbs.
Dual tandem wheel: 420000 lbs.
Dual dual tandem wheel: 900000 lbs.

Edge Lights:

High

 

Runway 17L

Runway 35R

Longitude:

081-16-57.2920W

081-16-56.3785W

Latitude:

28-26-37.3071N

28-25-08.1985N

Elevation:

90.00 ft

90.00 ft

Alignment:

127

127

ILS Type:

ILS/DME

ILS/DME

Traffic Pattern:

Left

Left

Markings:

Precision instrument, Good Condition

Precision instrument, Good Condition

VASI:

4-light PAPI on left side

4-light PAPI on right side

RVR Equipment:

touchdown, midfield, rollout

touchdown, midfield, rollout

Approach lights:

ALSF2

ALSF2

Centerline Lights:

Yes

Yes

Touchdown Lights:

Yes

Yes

 

Runway 17R/35L

Dimension:

10000 x 150 ft / 3048.0 x 45.7 m

Surface:

CONC, Good Condition

Surface Treatment:

Saw-cut or plastic Grooved

Weight Limit:

Single wheel: 75000 lbs.
Dual wheel: 210000 lbs.
Dual tandem wheel: 400000 lbs.

Edge Lights:

High

 

Runway 17R

Runway 35L

Longitude:

081-17-45.1655W

081-17-44.1317W

Latitude:

28-26-08.2009N

28-24-29.1966N

Elevation:

90.00 ft

87.00 ft

Alignment:

127

127

ILS Type:

ILS/DME

ILS/DME

Traffic Pattern:

Left

Left

Markings:

Precision instrument, Good Condition

Precision instrument, Good Condition

RVR Equipment:

touchdown, midfield, rollout

touchdown, midfield, rollout

Approach lights:

ALSF2

ALSF2

Centerline Lights:

Yes

Yes

Touchdown Lights:

Yes

Yes

 

Runway 18L/36R

Dimension:

12005 x 200 ft / 3659.1 x 61.0 m

Surface:

ASPH-CONC, Good Condition

Surface Treatment:

Saw-cut or plastic Grooved

Weight Limit:

Single wheel: 165000 lbs.
Dual wheel: 200000 lbs.
Dual tandem wheel: 400000 lbs.

Edge Lights:

High

 

Runway 18L

Runway 36R

Longitude:

081-19-20.3023W

081-19-19.0350W

Latitude:

28-26-54.0028N

28-24-55.1462N

Elevation:

92.00 ft

91.00 ft

Alignment:

127

127

ILS Type:

 

ILS/DME

Traffic Pattern:

Left

Left

Markings:

Precision instrument, Good Condition

Precision instrument, Good Condition

VASI:

6-box on left side
VASI UPWIND TCH 89.7' GA 3.25 DEGS DOWNWIND TCH 52.4' GA 3.00 DEGS.

 

RVR Equipment:

touchdown, midfield, rollout

touchdown, midfield, rollout

Approach lights:

 

ALSF2

Centerline Lights:

Yes

Yes

Touchdown Lights:

No

Yes

Decleard distances:

Take off run available 12005.00 ft
Take off distance available 12005.00 ft
Actual stop distance available 12005.00 ft
Landing distance available 12005.00 ft

Take off run available 12005.00 ft
Take off distance available 12005.00 ft
Actual stop distance available 11601.00 ft
Landing distance available 11601.00 ft

 

Runway 18R/36L

Dimension:

12004 x 200 ft / 3658.8 x 61.0 m

Surface:

CONC, Good Condition

Surface Treatment:

Saw-cut or plastic Grooved

Weight Limit:

Single wheel: 100000 lbs.
Dual wheel: 200000 lbs.
Dual tandem wheel: 400000 lbs.

Edge Lights:

High

 

Runway 18R

Runway 36L

Longitude:

081-19-37.1093W

081-19-35.8333W

Latitude:

28-26-53.8561N

28-24-55.0089N

Elevation:

92.00 ft

91.00 ft

Alignment:

127

127

ILS Type:

ILS/DME

 

Traffic Pattern:

Left

Left

Markings:

Precision instrument, Good Condition

Precision instrument, Good Condition

VASI:

 

6-box on left side
VASI UPWIND TCH 94' GA 3.25 DEGS; DOWNWIND TCH 52' GA 3.00 DEGS.

RVR Equipment:

touchdown, midfield, rollout

touchdown, rollout

Approach lights:

MALSR

 

Runway End Identifier:

 

Yes

Centerline Lights:

Yes

Yes

Touchdown Lights:

Yes

Yes

Decleard distances:

Take off run available 12004.00 ft
Take off distance available 12004.00 ft
Actual stop distance available 12004.00 ft
Landing distance available 12004.00 ft

Take off run available 12004.00 ft
Take off distance available 12004.00 ft
Actual stop distance available 11621.00 ft
Landing distance available 11621.00 ft

 

Helipad H1

Dimension:

44 x 44 ft / 13.4 x 13.4 m

Surface:

CONC,

 

Runway H1

Runway

Traffic Pattern:

Left

Left

 

Radio Navigation Aids

ID

Type

Name

Ch

Freq

Var

Dist

ISM

NDB

Kissimmee

 

329.00

05W

10.7 nm

SFB

NDB

Sanford

 

408.00

05W

21.6 nm

GGL

NDB

Geiger Lake

 

375.00

05W

27.8 nm

COI

NDB

Merritt Island

 

247.00

05W

33.2 nm

LEE

NDB

Leesburg

 

335.00

04W

35.2 nm

SQT

NDB

Satellite

 

257.00

03W

37.8 nm

DED

NDB

Deland/dcmsnd

 

201.00

05W

38.4 nm

EVB

NDB

New Smyrna Beach

 

417.00

04W

42.3 nm

RHZ

NDB

Zephyrhills

 

253.00

03W

46.5 nm

TTS

TACAN

Kennedy Space Center

059Y

 

00E

34.5 nm

COF

TACAN

Patrick

097X

 

04W

38.6 nm

MLB

VOR/DME

Melbourne

037X

110.00

02W

40.6 nm

ORL

VORTAC

Orlando

059X

112.20

00E

6.9 nm

LAL

VORTAC

Lakeland

107X

116.00

01E

45.9 nm

DAB

VOT

Daytona Beach

 

111.00

 

47.1 nm

Remarks

  • BIRDS & DEER ON & INVOF ARPT.
  • ASDE-X SURVEILLANCE SYSTEM IN USE: PILOTS SHOULD OPERATE TRANSPONDERS WITH MODE 'C' ON ALL TWYS & RYS.
  • ACFT PARKED ON AIRSIDE 2 CNTRLN WEST OF TWY G1 AND/OR SOUTH OF TWY J3 BTN 2200 & 0700.
  • GROUND OPS OF ACFT WITH WINGSPAN GREATER THAT 213 FT MUST USE TWYS WEST OF RY 18L/36R EXCEPT NORTH OF TWY A WHICH IS RESTRICTED TO WINGSPAN LESS THAT 213 FT.
  • 24 HR PPR FOR HELIPAD LNDG CALL 407-825-2036.
  • AVOID CONTACT WITH TAXIWAY EDGE LIGHTS; ALL AIRCRAFT DETERMINED TO BE FAA DESIGN GROUP IV AND ABOVE MUST PERFORM JUDGEMENTAL OVERSTEERING INSTEAD OF COCKPIT CENTERLINE STEERING WHEN TAXIING.
  • WHEN ORL ILS RY 7 AND MCO ILS RYS 17 & 18R SIMULTANEOUS OPERATIONS ARE CONDUCTED, ATC RADAR REQUIRED.
  • BRIGHT LGTS ON ROAD BTN RY 17R/35L AND RY 17L/35R MAY BE MISTAKEN FOR RY LGTS.

 

Based Aircraft

Aircraft based on field:

12

Jet Engine Airplanes:

12

Major Carriers Serving This Airport

Southwest Airlines Co.

30.5%

AirTran Airways Corporation

12.6%

Delta Air Lines Inc.

10.6%

American Airlines Inc.

10.0%

US Airways Inc.

8.1%

JetBlue Airways

7.5%

Continental Air Lines Inc.

6.1%

United Air Lines Inc.

6.0%

Northwest Airlines Inc.

5.5%

Comair Inc.

1.5%

Most Popular Destinations

Hartsfield - Jackson Atlanta Intl (ATL)

7.5%

Philadelphia Intl (PHL)

5.6%

Newark Liberty Intl (EWR)

4.6%

John F Kennedy Intl (JFK)

4.3%

Baltimore/washington Intl Thurgood Marshal (BWI)

4.2%

Dallas/fort Worth Intl (DFW)

3.6%

Chicago O'hare Intl (ORD)

3.1%

Chicago Midway Intl (MDW)

3.1%

Washington Dulles Intl (IAD)

2.9%

Detroit Metropolitan Wayne County (DTW)

2.7%

Most Popular Aircraft

N610AU

0.2%

N894AT

0.2%

N285AT

0.2%

N625JB

0.2%

N623AU

0.2%

N655DL

0.2%

N521JB

0.2%

N940UW

0.1%

N203UW

0.1%

N504JB

0.1%

Operational Statistics

    Time Period: 2005-01-01 - 2005-12-31

Aircraft Operations:

980/Day

Commerical:

70.9%

Air Taxi:

22.6%

General Aviation Local:

0.0%

General Aviation Itinerant:

6.3%

Military:

0.2%

  

Orlando International Airport   

Address: Orange County, FL

Tel: 407-825-2001


Images and information placed above are from
http://www.airport-data.com/airport/MCO/

We thank them for the data!

 


General Info
Country United States
State FLORIDA
FAA ID MCO
Latitude 28-25-44.000N
Longitude 081-18-57.700W
Elevation 96 feet
Near City ORLANDO



We don't guarantee the information is fresh and accurate. The data may be wrong or outdated.
For more up-to-date information please refer to other sources.

















christianity portal
directory of hotels worldwide
 
 

Copyright 2004-2026 © by Airports-Worldwide.com, Vyshenskoho st. 36, Lviv 79010, Ukraine
Legal Disclaimer