 |
|
Fort Lauderdale - Hollywood International Airport |
Coordinates: 26°04′21″N 080°09′10″W / 26.0725°N 80.15278°W / 26.0725; -80.15278
| Fort Lauderdale – Hollywood International Airport |
 |
| IATA: FLL – ICAO: KFLL – FAA LID: FLL
Location of RSW
|
| Summary |
| Airport type |
Public |
| Owner |
Broward County |
| Operator |
Broward County |
| Serves |
South Florida |
| Location |
Broward County, Florida |
| Hub for |
- Spirit Airlines
- Yellow Air Taxi
|
| Elevation AMSL |
9 ft / 3 m |
| Website |
www.broward.org/airport |
| Runways |
| Direction |
Length |
Surface |
| ft |
m |
| 9L/27R |
9,000 |
2,743 |
Asphalt |
| 9R/27L |
5,276 |
1,608 |
Asphalt |
| 13/31 |
6,930 |
2,112 |
Asphalt |
| Statistics (2009) |
| Total passengers |
21,060,144 |
| Aircraft operations |
270,663 |
| Based aircraft |
57 |
| Source: Federal Aviation Administration |
Fort Lauderdale – Hollywood International Airport (IATA: FLL, ICAO: KFLL, FAA LID: FLL) is an international commercial airport located in unincorporated Broward County, Florida, three miles (5 km) southwest of the central business district of Fort Lauderdale. It is also located near the city of Hollywood and is 21 miles (33.7 km) north of Miami.
In 2009, the airport processed 21,060,144 passengers including 3,027,412 international passengers. In 2008, the airport processed 22,621,500 passengers, a 0.3% drop from 2007 totals. From January through December 2008, the top five air carriers in terms of market share were: Spirit Airlines at 18.8%; Southwest Airlines at 13.9%; JetBlue Airways at 12.8%; Delta Air Lines at 12.1%; and US Airways at 9.0%. At that time, FLL was ranked as the 22nd busiest airport (in terms of passenger traffic) in the United States as well as the nation's 15th busiest international air gateway. The facility also ranks as one of the 50 busiest airports in the world.
Fort Lauderdale – Hollywood International Airport serves as a focus city for Allegiant Air, AirTran Airways, JetBlue Airways, and Caribbean Airlines. The airport is the largest base for Spirit Airlines, catering mainly to the airline's international to domestic network. It is also a hub for Gulfstream International Airlines under the Continental Connection name and Lynx Air International. The airport's close proximity to cruise line terminals at Port Everglades has also made it popular among tourists bound for the Caribbean. Since the late 1990s, FLL has emerged as an intercontinental gateway as well, especially for charter carriers, although Miami International Airport still handles most long-haul flights to and from South Florida. The airport offers free Wi-Fi Internet access throughout its terminals. History
Merle Fogg Airport opened on an abandoned 9-hole golf course on May 1, 1929. At the start of World War II, it was commissioned by the United States Navy and renamed Naval Air Station Fort Lauderdale. The base was initially used for refitting civil airliners for military service before they were ferried across the South Atlantic to Europe and North Africa. NAS Fort Lauderdale later became a main training base for Naval Aviators and enlisted naval aircrewmen flying the TBF and TBM Avenger for the U.S. Navy and U.S. Marine Corps aboard aircraft carriers and from expeditionary airfields ashore.
NAS Fort Lauderdale was closed on October 1, 1946 and transferred to county control, becoming Broward County International Airport.
Commercial flights to Nassau began on June 2, 1953, and domestic flights began in 1958, operated by Eastern Air Lines, National Airlines, and Northeast Airlines. In 1959, the airport opened its first permanent terminal building and assumed its current name.
Operations at FLL grew along with Broward County's population. Passenger traffic reached 1 million in 1969 and 10 million in 1994. Low-cost traffic propelled the airport's growth in the 1990s, with Southwest opening its base in 1996, Spirit in 1999, and JetBlue in 2001. Spirit made FLL a hub in 2002, and in 2003, JetBlue made FLL a focus city.
During the 2005 hurricane season, FLL was affected by Hurricane Katrina and Hurricane Wilma. Katrina struck as a Category 1 and caused minor damage, however the airport was closed for about a 48 hour period. However, when Hurricane Wilma made landfall in October roof damage was reported along with broken windows, damaged jetways, and destroyed canopies. The airport was closed for a period of 5 days. Hurricane Wilma was a Category 2 when its center passed to the west of FLL.
Beginning February 2007, the airport initiated user fees to all users, including private aircraft. It is one of a handful of airports to administer fees to private pilots. A minimum charge of $10 is assessed to private aircraft which land at the airport.
The airport has been used by filmmakers as a location shot numerous times, the most famous of these being scenes from Revenge of the Nerds II: Nerds in Paradise.
Facilities and aircraft
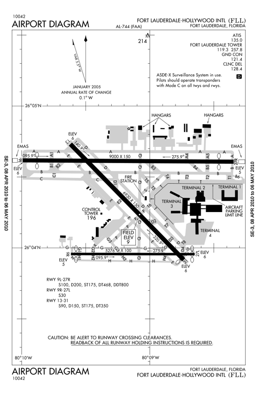
 | |
FAA diagram of FLL
|
Fort Lauderdale – Hollywood International Airport covers an area of 1,380 acres (558 ha) and has three runways:
- Runway 9L/27R: 9,002 x 150 ft (2,743 x 46 m), Surface: Asphalt
- Runway 9R/27L: 5,276 x 100 ft (1,608 x 30 m), Surface: Asphalt
- Runway 13/31: 6,930 x 150 ft (2,112 x 46 m), Surface: Asphalt
In 2003, plans were started to expand the facility to meet increasing demand. Proposed improvements include an extension of runway 9R/27L to accommodate larger air carrier jet aircraft, construction and modifications to the airport's taxiway system to provide for increased speed, improved inter-terminal passenger movement and extensive terminal upgrades. As of April 25, 2006 the master plan for this expansion was being updated for a second time. Concerns and complaints by nearby communities about increased noise from larger jet aircraft, along with concerns about buyout requirements, have delayed construction that is expected to keep Fort Lauderdale – Hollywood International Airport viable through 2020.
On June 5, 2007, Broward County commissioners voted six to three in favor of extending the southern 9R/27L runway. The proposal looks to extend the runway to over 8,000 ft (2,400 m). over a five year period. Currently, the plan is being sent for approval by the FAA.
For 12-month period ending June 30, 2006, the airport had 310,255 aircraft operations, an average of 850 per day: 58% scheduled commercial (179,305), 23% air taxi (71,630), 19% general aviation (58,942) and <1% military (378). There are 100 aircraft based at this airport: 48% multi engine (48), 40% jet aircraft (40), 9% single engine (9) and 3% helicopters (3).
Terminals
 | |
Destinations with direct service from FLL
|
Fort Lauderdale – Hollywood International Airport has four terminals. Terminal 1, commonly referred to as "The New Terminal," opened in stages between 2001 and 2003. The other three terminals were constructed in the mid-1980s as part of a $263 million construction project. Terminal 4, commonly referred to as the International Terminal, was inaugurated by a Concorde visit in 1983.
- Terminal 1 - New Terminal
-
- Terminal 1 has two concourses (B & C) and 18 gates.
- Continental Airlines operates a Presidents Club in Concourse C, which opened with the new Terminal in 2002. It is Continental's only clubroom location in Florida.
- Terminal 2 - Delta Terminal
-
- Terminal 2 has one concourse (D) and nine gates. Delta Air Lines operates a Sky Club here - one of six clubrooms in the state of Florida. This Terminal is only used by Delta, Delta Connection and Air Canada.
- Terminal 3 - Main Terminal
-
- Terminal 3 has two concourses (E & F) and 20 gates.
- Terminal 4 - International Terminal
-
- Terminal 4 has one concourse (H) and 10 gates.
- Note: Terminal 4 handles all non-precleared international arrivals, in addition to the departures listed in the table.
- International arrival gates are H4, H6, H8, H9, and H10.
- Terminal 5 - Commuter Terminal
-
- Terminal 5 consists of one concourse (J) with three gates.
Airlines and destinations
| Airlines |
Destinations |
Terminal/Concourse |
| Air Canada |
Montréal-Trudeau, Toronto-Pearson
Seasonal: Ottawa |
2-D |
| Air Sunshine |
Guantanamo Bay |
5-J |
| Air Transat |
Seasonal: Montréal-Trudeau, Quebec City, Toronto-Pearson |
4-H |
| Aires |
Barranquilla, Bogota, Cali, Cartagena |
4-H |
| AirTran Airways |
Akron/Canton [seasonal], Allentown/Bethlehem, Atlanta, Baltimore, Columbus (OH), Flint [seasonal], Harrisburg, Indianapolis, Lexington (KY), Milwaukee, Pittsburgh |
3-E |
| Allegiant Air |
Elmira [begins November 19], Grand Rapids, Greenville (SC), Huntington (WV), Knoxville, Plattsburgh (NY), Savannah (GA) [begins November 18] |
1-C |
| American Airlines |
Chicago-O'Hare, Dallas/Fort Worth, New York-JFK [begins November 18], Port-au-Prince |
3-F (International Arrivals 4-H) |
| Avianca |
Bogotá |
4-H |
| Bahamasair |
Freeport, Nassau |
3-E |
| CanJet |
Seasonal: Halifax, Montréal-Trudeau, Quebec City, Toronto-Pearson |
4-H |
| Caribbean Airlines |
Port of Spain |
4-H |
| Caribbean Airlines operated by Air Jamaica |
Kingston, Montego Bay |
4-H |
| Condor |
Seasonal: Frankfurt |
4-H |
| Continental Airlines |
Cleveland, Houston-Intercontinental, Newark |
1-C |
| Continental Connection operated by Gulfstream International Airlines |
Andros Town, Freeport, Governor's Harbour, Great Exuma Island, Key West, Marsh Harbour, Nassau, New Bight, North Eleuthera, South Bimini, Tallahassee, Tampa, Treasure Cay |
1-C (International Arrivals 4-H) |
| Delta Air Lines |
Atlanta, Cincinnati/Northern Kentucky, Detroit, Las Vegas, Los Angeles, Memphis, Minneapolis/St. Paul, New York-JFK, New York-LaGuardia
Seasonal: Hartford/Springfield, Salt Lake City |
2-D |
| Delta Connection operated by Atlantic Southeast Airlines |
Tallahassee |
2-D |
| Frontier Airlines |
Denver |
1-B |
| JetBlue Airways |
Austin, Boston, Buffalo, Cancún, Hartford/Springfield [begins November 17], Long Beach, Nassau, New York-JFK, New York-LaGuardia, Newark, Newburgh, Raleigh/Durham, Richmond, San Francisco, San Juan, Santo Domingo, Washington-Dulles, Washington-Reagan [begins November 1], White Plains |
3-F (International Arrivals 4-H) |
| Midwest Airlines operated by Republic Airlines |
Seasonal: Milwaukee |
1-B |
| Southwest Airlines |
Albany, Austin, Baltimore, Buffalo, Chicago-Midway, Denver, Hartford/Springfield [begins November 7], Houston-Hobby, Jacksonville, Kansas City [resumes November 7], Las Vegas, Long Island/Islip, Manchester (NH) [Resumes March 12], Nashville, New Orleans, Orlando, Philadelphia, Phoenix [Begins November 7], Providence, Raleigh/Durham, St. Louis, Tampa |
1-B |
| Spirit Airlines |
Aguadilla, Armenia, Aruba, Atlanta, Atlantic City, Barranquilla, Bogotá, Boston, Cancún, Cartagena, Chicago-O'Hare, Detroit, Guatemala City, Kingston, Las Vegas, Lima, Los Angeles, Managua, Medellin, Montego Bay, Myrtle Beach, Nassau, New York-LaGuardia, Orlando, Panama City (Panama), Port-au-Prince, St. Maarten, St. Thomas, San José de Costa Rica, San Juan, San Pedro Sula, San Salvador (Bahamas), Santiago de los Caballeros, Santo Domingo, Tampa, Washington-Reagan
Seasonal: Punta Cana |
4-H |
| Sunwing Airlines |
Seasonal: Montréal-Trudeau, Toronto-Pearson |
3-F |
| Thomas Cook Airlines Scandinavia |
Stockholm-Arlanda [charter] |
4-H |
| US Airways |
Charlotte, Philadelphia, Phoenix, Washington-Reagan |
3-E |
| Virgin America |
Los Angeles, San Francisco |
1-C |
| WestJet |
Montréal-Trudeau, Toronto-Pearson
Seasonal: Ottawa, Quebec City [begins December 12] |
3-F |
| Yellow Air Taxi |
Marsh Harbour, Treasure Cay |
5-J |
Cargo carriers
- ABX Air
- Burlington Air Express
- Emery Worldwide
- FedEx Express
- Mountain Air Cargo
- UPS Airlines
GA Overcrowding Reliever Facility
See Fort Lauderdale Executive Airport
Ground Transport
FLL is served by Broward County Transit bus Route 1 which offers connecting service through the Central Terminal, and also service to Aventura, in Miami-Dade County. Rail service is provided by Tri-Rail, at the Fort Lauderdale/Hollywood International Airport Tri-Rail station, where there is a shuttle that goes to the airport. The airport also offers airport parking and has rental car facilities.
Accidents and Incidents
On May 18, 1972, an Eastern Air Lines McDonnell Douglas DC-9-31 had its landing gear collapse and tail section separate during landing. The aircraft then caught fire but all passengers and crew were able to safely evacuate.
On January 1, 1975 Douglas C-47A N9BC of Air O'Hare ditched off Fort Lauderdale. The aircraft was on a flight from Grand Bahama International Airport, Bahamas to Fort Lauderdale – Hollywood International Airport when the starboard propeller oversped and had to be feathered. The port engine then overheated and lost power. All three people on board survived.
On April 23, 1980, Douglas C-47B N709Z of Florida Preferred Equity crashed near Dania, Florida when it stalled whilst a go-around was performed. The aircraft was on a private passenger flight from South Bimini Airport, Bahamas, to Fort Lauderdale International Airport. One of the eight people on board was severely injured.
On August 2, 1985, Delta Air Lines Flight 191 originated at Fort Lauderdale, en route to Dallas/Fort Worth and Los Angeles. Wind shear and pilot error caused the aircraft to crash upon landing Dallas/Fort Worth International Airport.
The above content comes from Wikipedia and is published under free licenses – click here to read more.
 |
(Click on the photo to enlarge) |
Location
& QuickFacts
|
FAA Information Effective: |
2007-01-18 |
|
Airport
Identifier: |
FLL |
|
Airport
Status: |
Operational |
|
Longitude/Latitude: |
080-09-09.9000W/26-04-21.3000N
-80.152750/26.072583 (Estimated) |
|
Elevation: |
9 ft / 2.74 m (Surveyed) |
|
Land: |
1380 acres |
|
From
nearest city: |
3 nautical miles SW of Fort Lauderdale, FL |
|
Location: |
Broward County, FL |
|
Magnetic Variation: |
04W (1995) |
Owner
& Manager
|
Ownership: |
Publicly owned |
|
Owner: |
Broward County |
|
Address: |
320 Terminal Drive
Ft Lauderdale, FL 33315 |
|
Phone
number: |
954-359-6100 |
|
Manager: |
Tom Jargiello
DIRECTOR OF AVIATION DIRECT LINE CALL 954-359-1029 |
|
Address: |
100 Aviation Blvd
Ft Lauderdale, FL 33315 |
|
Phone number: |
954-359-6100 |
Airport
Operations and Facilities
|
Airport Use: |
Open to public |
|
Wind
indicator: |
Yes |
|
Segmented
Circle: |
No |
|
Control
Tower: |
Yes |
|
Lighting
Schedule: |
DUSK-DAWN |
|
Beacon
Color: |
Clear-Green (lighted land airport)
ARPT ROTATING BCN OTS INDEFLY. |
|
Landing
fee charge: |
No |
|
Sectional
chart: |
Miami |
|
Region: |
ASO - Southern |
|
Traffic
Pattern Alt: |
1000 ft |
|
Boundary
ARTCC: |
ZMA - Miami |
|
Tie-in
FSS: |
MIA - Miami |
|
FSS
on Airport: |
No |
|
FSS
Phone: |
305-233-2600 |
|
FSS
Toll Free: |
1-800-WX-BRIEF |
|
NOTAMs
Facility: |
FLL (NOTAM-d service avaliable) |
|
Certification type/date: |
I E S 05/1973 |
|
Federal Agreements: |
NGPSY |
Airport
Communications
Airport
Services
|
Fuel available: |
100LLA |
|
Airframe Repair: |
MAJOR |
|
Power Plant Repair: |
MAJOR |
|
Bottled
Oxygen: |
HIGH/LOW |
|
Bulk
Oxygen: |
HIGH/LOW |
|
Runway Information
Runway 09L/27R
|
Dimension: |
9000 x 150 ft / 2743.2 x 45.7 m |
|
Surface: |
ASPH, Good Condition |
|
Surface
Treatment: |
Saw-cut or plastic Grooved |
|
Weight
Limit: |
Single wheel: 100000 lbs.
Dual wheel: 200000 lbs.
Dual tandem wheel: 468000 lbs.
Dual dual tandem wheel: 800000 lbs. |
|
Edge
Lights: |
High |
|
|
Runway 09L |
Runway 27R |
|
Longitude: |
080-09-59.5306W |
080-08-20.8276W |
|
Latitude: |
26-04-37.0109N |
26-04-36.4498N |
|
Elevation: |
6.00
ft |
5.00
ft |
|
Alignment: |
90 |
127 |
|
ILS
Type: |
ILS/DME |
ILS/DME |
|
Traffic
Pattern: |
Left |
Right |
|
Markings: |
Precision instrument, Good Condition |
Precision instrument, Good Condition |
|
Crossing
Height: |
68.00 ft |
71.00 ft |
|
Displaced
threshold: |
577.00 ft |
604.00 ft |
|
VASI: |
4-light PAPI on right side |
4-light PAPI on left side |
|
Visual
Glide Angle: |
3.00° |
3.00° |
|
RVR
Equipment: |
touchdown |
touchdown |
|
Approach
lights: |
MALSR |
MALSR |
|
Obstruction: |
14 ft road, 340.0 ft from runway, 10:1 slope
to clear
APCH RATIO 50:1 TO DSPLCD THLD.
HAS +8 FT FENCE 200 FT FM THLD & 400 FT RIGHT; 40 FT LGT
POLES PARALLEL TO RY BTWN TWYS Q AND A-4 AND 650 FT NORTH. |
33 ft rr, 470.0 ft from runway, 530 ft right
of centerline, 8:1 slope to clear
APCH RATIO 32:1 TO DSPLCD THR. +43 FT OBST LGTD POLE 1414'
FROM THR 75 FT R; APCH RATIO 46:1. |
|
Decleard
distances: |
Take off run available 9000.00 ft
Take off distance available 9000.00 ft
Actual stop distance available 9000.00 ft
Landing distance available 8423.00 ft |
Take off run available 9000.00 ft
Take off distance available 9000.00 ft
Actual stop distance available 9000.00 ft
Landing distance available 8396.00 ft |
|
Runway 09R/27L
|
Dimension: |
5276 x 100 ft / 1608.1 x 30.5 m |
|
Surface: |
ASPH, Good Condition |
|
Surface
Treatment: |
Saw-cut or plastic Grooved |
|
Weight
Limit: |
Single wheel: 30000 lbs. |
|
Edge
Lights: |
Medium |
|
|
Runway 09R |
Runway 27L |
|
Longitude: |
080-09-37.1397W |
080-08-39.2877W |
|
Latitude: |
26-03-57.5084N |
26-03-57.1629N |
|
Elevation: |
5.00
ft |
6.00
ft |
|
Alignment: |
90 |
127 |
|
ILS
Type: |
LOCALIZER |
|
|
Traffic
Pattern: |
Right |
Left |
|
Markings: |
Non-precision instrument, Good Condition |
Non-precision instrument, Good Condition |
|
Crossing
Height: |
45.00 ft |
40.00 ft |
|
Displaced
threshold: |
320.00 ft |
142.00 ft |
|
VASI: |
4-light PAPI on left side |
4-light PAPI on left side |
|
Visual
Glide Angle: |
3.00° |
3.50° |
|
Runway
End Identifier: |
Yes |
|
|
Obstruction: |
35 ft tree, 900.0 ft from runway, 50 ft left
of centerline, 20:1 slope to clear
APCH RATIO 28:1 TO DSPLCD THLD.
HAS
+8' FENCE 200' FM THR 100'R. |
42 ft pole, 1400.0 ft from runway, 150 ft left
of centerline, 28:1 slope to clear
APCH RATIO 50:1 TO DSPLCD THLD. |
|
Decleard
distances: |
Take off run available 5276.00 ft
Take off distance available 5276.00 ft
Actual stop distance available 5276.00 ft
Landing distance available 4956.00 ft |
Take off run available 5276.00 ft
Take off distance available 5276.00 ft
Actual stop distance available 5276.00 ft
Landing distance available 5134.00 ft |
|
Runway 13/31
|
Dimension: |
6930 x 150 ft / 2112.3 x 45.7 m |
|
Surface: |
ASPH, Good Condition |
|
Surface
Treatment: |
Saw-cut or plastic Grooved |
|
Weight
Limit: |
Single wheel: 90000 lbs.
Dual wheel: 150000 lbs.
Dual
tandem wheel: 350000 lbs. |
|
Edge
Lights: |
Medium |
|
|
Runway 13 |
Runway 31 |
|
Longitude: |
080-09-37.3989W |
080-08-44.0036W |
|
Latitude: |
26-04-44.0529N |
26-03-55.2075N |
|
Elevation: |
6.00
ft |
6.00
ft |
|
Alignment: |
127 |
127 |
|
ILS
Type: |
LOCALIZER |
|
|
Traffic
Pattern: |
Left |
Left |
|
Markings: |
Non-precision instrument, Good Condition |
Non-precision instrument, Good Condition |
|
Crossing
Height: |
75.00 ft |
75.00 ft |
|
Displaced
threshold: |
0.00
ft |
70.00 ft |
|
VASI: |
4-light PAPI on left side |
4-light PAPI on left side |
|
Visual
Glide Angle: |
3.00° |
3.00° |
|
Runway
End Identifier: |
Yes |
Yes |
|
Obstruction: |
, 50:1 slope to clear |
49 ft rr, 1100.0 ft from runway, 10 ft left
of centerline, 18:1 slope to clear |
|
Decleard
distances: |
Take off run available 6930.00 ft
Take off distance available 6930.00 ft
Actual stop distance available 6930.00 ft
Landing distance available 6930.00 ft |
Take off run available 6930.00 ft
Take off distance available 6930.00 ft
Actual stop distance available 6930.00 ft
Landing distance available 6860.00 ft |
|
Radio Navigation
Aids
|
ID |
Type |
Name |
Ch |
Freq |
Var |
Dist |
|
PJN |
NDB |
Plantation |
|
242.00 |
03W |
5.1 nm |
|
FX |
NDB |
Praiz |
|
221.00 |
02W |
10.4 nm |
|
PB |
NDB |
Rubin |
|
356.00 |
03W |
37.1 nm |
|
HST |
TACAN |
Homestead |
019X |
|
03W |
37.1 nm |
|
FLL |
VOR/DME |
Fort Lauderdale |
091X |
114.40 |
00E |
0.1 nm |
|
VKZ |
VOR/DME |
Virginia Key |
118X |
117.10 |
04W |
19.3 nm |
|
DHP |
VORTAC |
Dolphin |
086X |
113.90 |
04W |
19.5 nm |
|
PBI |
VORTAC |
Palm Beach |
104X |
115.70 |
03W |
36.7 nm |
|
MIA |
VOT |
Miami Intl |
|
112.00 |
|
18.0 nm |
|
PBI |
VOT |
Palm Beach |
|
109.00 |
|
37.0 nm |
Remarks
- CLSD
TO ACR TRAINING. CLSD TO LARGE ACFT TRAINING OVER 58000 LBS MAX CERTD
GROSS TKOF WEIGHT. CLSD
TO ALL TRAINING 2300-0700.
- TWYS
SOUTH OF TWY B AND WEST OF RY 13/31 EXCEPT FOR TWYS P & E ARE 50
FT WIDE OR LESS; DESIGN CRITERIA FOR LARGE ACFT NOT MAINTAINED.
- RY
09R/27L CLSD TO ACFT IN EXCESS OF 58000 LBS MAX CERTIFICATED GROSS TKOF
WT.
- PPR
FOR ACFT WITH EXPLOSIVES.
- (E47-09L)
EDGE LGTS.
- ACFT
WITH WINGSPANS GREATER THAN 112 FT MAY UTILIZE TWY E BTN TWYS B/P BY
PPR ONLY.
- ARR
ACFT FROM THE NORTH MAINTAIN 6000 FT UNTIL ABEAM RY 09L ON DOWNWIND.
- ARR
ACFT FROM NORTH & WEST MAINTAIN 6000 FT UNTIL ABEAM RY 27L, RY 27R
ON DOWNWIND.
- NO
VFR APCHS OR BASE LEGS UNTIL OFFSHORE.
- ACFT
HOLDING SHORT FOR RY 27L AT D4 BE ALERT; RYS 31 AND 27L CAN BE CONFUSING.
- BE
ALERT: INTERSECTION OF TWY G AND Q NOT VSB.
- TWY
B6 CLSD TO ACFT WITH WINGSPAN GREATER THAN 126 FT AND TAIL HEIGHT GREATER
THAN 46 FT.
- SHOULDER
MARKINGS ON RY 13-31 NON-STANDARD.
- AIR
CARRIER ACFT USE RAMP PUSH BACK PROCEDURES AS PRESCRIBED BY AIRPORT
OPS.
- STANDING
WATER ON RY SAFETY AREA AER 27R.
-
< MI
4 11 & W 2 PLANT PWR ELECT OVR 1000? BLO>
- EAST
SIDE OF CONCOURSE B AVAILBLE ONLY TO ACFT WITH A WINGSPAN OF LESS THAN
124.9 FT.
- NOISE
ABATEMENT PROC: (TBJET & 4-ENG ACFT) EAST OPN: DEPT ACFT MAINTAIN
RWY HEADING TO 3000' OR 3 MI E OF ARPT BNDRY. ACFT DEPARTING RY 13 TURN
LEFT 090 AS SOON AS SPD AND ALT PERMIT TO 3000 FT OR 3 MI E OF ARPT.
ACFT DEPARTING RWY 31 TURN L 270 AS SPD AND ALT PERMIT TO 3000 FT OR
3 MI W OF ARPT.
- JET
RUNUPS PROHIBITED 2300-0700.
- ALL
RYS ARE NOISE SENSITIVE.
-
< 3
OR 3000? TO HEADING RWY MAINT ACFT DEP OPN:>
- FLOCKS
OF BIRDS ON AND IN THE VICINITY OF THE ARPT.
- ALL
WIDE BODY TYPE ACFT DEPARTING RWY 9L SHOULD FOLLOW TWY CNTRLN INTO POSITION
ON RWY.
Based Aircraft
|
Aircraft
based on field: |
100 |
|
Single
Engine Airplanes: |
9 |
|
Multi
Engine Airplanes: |
48 |
|
Jet Engine
Airplanes: |
40 |
|
Helicopters: |
3 |
Major Carriers
Serving This Airport
| Southwest Airlines Co. |
24.2% |
| Delta Air Lines Inc. |
16.0% |
| JetBlue Airways |
14.2% |
| US Airways Inc. |
12.4% |
| American Airlines Inc. |
9.5% |
| AirTran Airways Corporation |
8.7% |
| Continental Air Lines Inc. |
8.4% |
| Northwest Airlines Inc. |
3.5% |
| United Air Lines Inc. |
2.5% |
| Frontier Airlines Inc. |
0.6% |
Most Popular Destinations
|
Hartsfield - Jackson Atlanta Intl (ATL) |
11.0% |
|
John F Kennedy Intl (JFK) |
7.4% |
| Newark Liberty Intl (EWR) |
6.5% |
| Philadelphia Intl (PHL) |
6.2% |
| La Guardia (LGA) |
5.8% |
| Tampa Intl (TPA) |
4.9% |
|
Baltimore/washington Intl Thurgood Marshal (BWI) |
4.7% |
|
Dallas/fort Worth Intl (DFW) |
4.2% |
| Charlotte/douglas Intl (CLT) |
3.8% |
| Orlando Intl (MCO) |
3.4% |
Most Popular Aircraft
|
N520JB |
0.3% |
| N562JB |
0.3% |
|
N571JB |
0.2% |
| N201UU |
0.2% |
|
N608JB |
0.2% |
| N595JB |
0.2% |
|
N559JB |
0.2% |
| N632JB |
0.2% |
|
N556JB |
0.2% |
| N202UW |
0.2% |
Operational Statistics
Time Period: 2005-07-01
- 2006-06-30
|
Aircraft
Operations: |
851/Day |
|
Commerical: |
57.8% |
|
Air Taxi: |
23.1% |
|
General
Aviation Local: |
0.0% |
|
General
Aviation Itinerant: |
19.0% |
|
Military: |
0.1% |
Fort Lauderdale - Hollywood International Airport
Address:
Broward County, FL
Tel:
954-359-6100
Images
and information placed above are from
http://www.airport-data.com/airport/FLL/
We
thank them for the data!
| General
Info |
| Country |
United
States |
| State |
FLORIDA
|
| FAA ID |
FLL
|
| Latitude |
26-04-21.300N
|
| Longitude |
080-09-09.900W
|
| Elevation |
9 feet
|
| Near City |
FORT LAUDERDALE
|
We don't guarantee the information is fresh and accurate. The data may
be wrong or outdated.
For more up-to-date information please refer to other sources.
|
 |