Denver International Airport in Colorado Colorado airports - Denver International Airport
Denver International Airport in Colorado - United States
Colorado Airports
USA Airports
World Airports
Airport photos
Aircraft photos
Spacecraft photos
Earth from airplane
Earth from space
Aviation Articles

Denver International Airport

Denver International Airport (IATA: DEN, ICAO: KDEN, FAA LID: DEN), locally known as DIA, is an international airport in the Western United States, primarily serving metropolitan Denver, Colorado, as well as the greater Front Range Urban Corridor. At 33,531 acres (52.4 sq mi; 135.7 km2), it is the largest airport in the Western Hemisphere by land area and the second largest on Earth, behind King Fahd International Airport. Runway 16R/34L, with a length of 16,000 feet (3.03 mi; 4.88 km), is the longest public use runway in North America and the seventh longest on Earth. The airport is 25 miles (40 km) driving distance northeast of Downtown Denver, 19 miles (31 km) farther than the former Stapleton International Airport, the facility DEN replaced: the airport land was originally part of Adams County until the construction of the airport in 1995, and is primarily located in between Commerce City and Aurora with the connecting strip of neighborhoods (on the route of Peña Blvd) being the only connection with the rest of the city of Denver. Many airport-related services, such as hotels and restaurants, are located within Denver city limits.

Denver International Airport
  • IATA: DEN
  • ICAO: KDEN
  • FAA LID: DEN
  • WMO: 72565
Summary
Airport type Public
Owner City & County of Denver
Operator City & County of Denver Department of Aviation
Serves Denver metropolitan area and Front Range Urban Corridor
Location Northeast Denver, Colorado, U.S.
Opened February 28, 1995; 28 years ago
Hub for
  • Denver Air Connection
  • Southern Airways Express
  • United Airlines
Operating base for
  • Frontier Airlines
  • Southwest Airlines
Elevation AMSL 5,434 ft / 1,656 m
Coordinates 39.86167°N 104.67306°W
Website flydenver.com
Maps

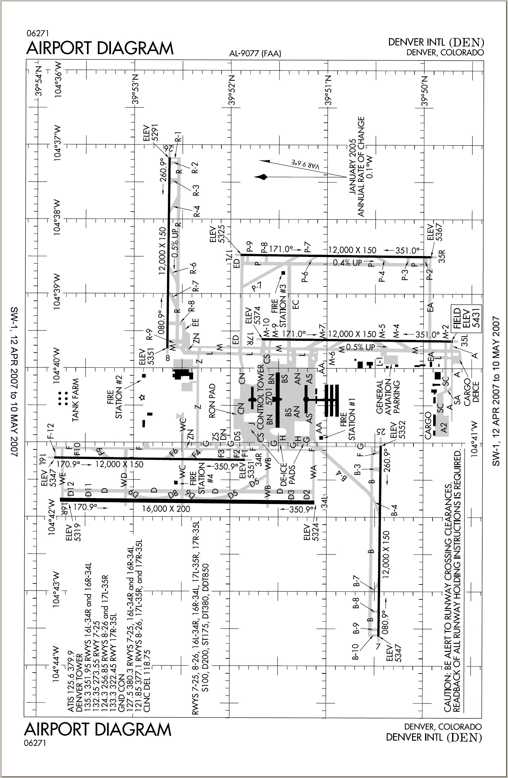
FAA airport diagram
Map
Runways
Direction Length Surface
ft m
7/25 12,000 3,658 Concrete
8/26 12,000 3,658 Concrete
16L/34R 12,000 3,658 Concrete
16R/34L 16,000 4,877 Concrete
17L/35R 12,000 3,658 Concrete
17R/35L 12,000 3,658 Concrete
Statistics (2023)
Passengers 77,837,917
Aircraft operations 662,010
Total cargo 681,534,753 lb 309,138,964 kg
Economic contribution (2018) $33.5 billion

Opened in 1995, DEN currently serves 25 different airlines offering non-stop service to over 215 destinations throughout the Americas, Europe, and Asia; it was the fourth airport in the U.S. to exceed 200 destinations. The airport is a major hub for United Airlines and is the largest operating base for both Frontier Airlines and Southwest Airlines. With over 35,000 employees, the airport is the largest employer in Colorado. The airport is located on the western edge of the Great Plains and within sight of the Front Range of the Rocky Mountains.

In 2002 when 16R/34L was under construction.
Photo by United States Geological Survey (USGS), Public Domain.

In both 2021 and 2022, DEN was the third busiest airport in the world as well as the third busiest airport in the United States by passenger traffic; DEN has been among the top 20 busiest airports in the world every year since 2000.

History

Denver has traditionally been home to one of the busier airports in the United States because its midcontinent location was ideal for an airline hub. Several airlines, notably United Airlines and Continental Airlines, were hubbed at the former Stapleton International Airport, helping make it the sixth-busiest airport in the country by the 1960s. But Stapleton was cramped, with little room to add additional flights and with runways too close together, leading to long waits in bad weather that would cause nationwide travel disruptions.

From 1980 to 1983, the Denver Regional Council of Governments investigated areas for a new area airport north and east of Denver. Meanwhile, in 1983, Federico Peña was elected mayor of Denver, campaigning on a plan to expand Stapleton onto Rocky Mountain Arsenal lands. The plan had broad support, but leaders in nearby Adams County threatened to sue over noise concerns.

Eventually Peña struck a deal: Adams County leaders would rally citizens to back a plan for Denver to annex 54 square miles (140 km2) of the county to build an airport away from established neighborhoods. In 1988, Adams County voters approved the annexation. The proposal was met with some skepticism because of its location: 24 miles (39 km) from the heart of the city. But seeing the importance of a Denver air hub to the national transportation system, the federal government put $500 million (equivalent to $1 billion as of 2022) toward the new airport. The rest of the cost would be financed by bonds, to be repaid with fees on airlines. Ground was broken in September 1989.

Two years later, Mayor Wellington Webb inherited the megaproject, which at that time was scheduled to open on October 29, 1993. At the time United was refusing to move to the new airport over the high proposed fees. The airline finally relented under the condition that the airport include an automated baggage system.

Construction delays pushed opening day back, first to December 1993, then to March 1994. By September 1993, delays due to a millwright strike and other events meant opening day was pushed back again, to May 1994.

In April 1994, the city invited reporters to observe the first test of the new automated baggage system. Reporters were treated to scenes of clothing and other personal effects scattered beneath the system's tracks and carts that would often toss the luggage right off the system. After the embarrassing preview, the mayor cancelled the planned May opening. The baggage system continued to be a maintenance hassle and was finally terminated in September 2005, with traditional baggage handlers manually handling cargo and passenger luggage.

DEN finally replaced Stapleton on February 28, 1995, 16 months behind schedule and at a cost of $4.8 billion (equivalent to $8.5 billion as of 2022), nearly $2 billion over budget ($3.5 billion as of 2022). The construction employed 11,000 workers. United Airlines Flight 1062 to Kansas City International Airport was the first to depart DEN and United Flight 1474 from Colorado Springs Airport was the first to arrive at the new airport.

In September 2003, runway 16R/34L was added, the airport's sixth and at 16,000 ft (3.0 mi; 4.9 km), it is 4,000 ft (0.76 mi; 1.2 km) longer than the other runways. Its length, exceeded by only six other runways in the world, allows fully laden Airbus A380s and Boeing 747-8s to take off in the hot and high conditions at the airport, which is roughly 1 mi (1.6 km) above sea level.

During a blizzard on March 17–19, 2003, the weight of heavy snow tore a hole in the terminal's white fabric roof, and over 2 feet (0.61 m) of snow on paved areas closed the airport and its main access road (Peña Boulevard) for almost two days, stranding several thousand people. Another blizzard on December 20–21, 2006, dumped over 20 inches (51 cm) of snow in about 24 hours. The airport was closed for more than 45 hours, stranding thousands. Following this, the airport invested heavily in new snow-removal equipment that has led to a dramatic reduction in runway occupancy times to clear snow, down from an average of 45 minutes in 2006 to just 15 minutes. In 2020, the airport was awarded the Balchen/Post award, which is presented by the Northeast Chapter of the American Association of Airport Executives (AAAE) for the outstanding snow and ice removal operation during difficult winter conditions.

After shunning DEN for over a decade due to high fees, Southwest Airlines entered the airport in January 2006 with 13 daily flights. Southwest has since rapidly expanded and is now the airport's second-largest carrier after United.

On November 19, 2015, a hotel was added to the airport and on April 22, 2016, DEN received commuter rail service to Denver Union Station with the opening of RTD's A Line.

On September 9, 2015, a political campaign was launched by Mayor Michael Hancock to radically expand commercial development at DEN, previously prohibited by intergovernmental agreement between Denver and Adams County. The changes to the agreement were approved by both Denver and Adams County voters in November 2015.

In 2018, work began on a major interior renovation and reconfiguration to the entire Jeppesen Terminal including the beginning phases of construction to relocate two out of the three TSA security checkpoints from the Great Hall on Level 5 to Level 6 (East & West) while simultaneously updating and consolidating airline ticket counters/check-in for all airlines. Eventually, both pre- and post-security gathering and leisure areas will be incorporated into the spaces where both expansive TSA security areas on Level 5 are currently located. The third TSA security checkpoint currently accessible via the Concourse A bridge is expected to be removed once the new Level 6 security areas are completed. The renovation and reconfiguration will bring back the original intent and use of the Great Hall as a large commons area for airport patrons and visitors to enjoy. First phases of completion—including updated check-in and baggage drop counters for United & Southwest Airlines as well as visual and facility updates to parts of the terminal—began in late 2020 and progressively continue to this day. In early February 2024, the first of two new security screening areas (West Security on Level 6) opened to the public. It is located directly north of the new United Airlines Check-In facilities. The new East Security, directly across the Great Hall from West, is expected to open in mid to late 2025. At that time both Level 5 North & South Security areas (who have been in operation for over 20 years) will be closed and removed in addition to the A-Bridge Security. This phased terminal project is expected to be completed by 2028.

Additionally in 2018, work commenced on a major gate expansion to all three concourses with 12 new gates being added to A (including several single and double-jetway gates with direct access to U.S. Customs and Border Protection), 11 to B, and 16 to C, for a total of 39 new gates. Following the completion of this project, United Airlines has leased 24 additional gates on both A and B (bringing its total gate count at DEN to around 90), as well as build a new United Club in A and expand their existing clubs in B. Southwest Airlines leased 16 of the new gates in C bringing its total gate count at DEN to 40, which is SWA's largest gate count at any single airport. As of November 2022, all new gates in A-West, B-West, B-East and C-East are in use and new retail and restaurant tenants will continue to open through 2024 as well as new art commissioned and installed through 2025. Additionally, all existing way-finding signs, flight information display systems and gate signs are expected to be replaced in the coming years matching what is found at the new gates and within the renovated portions of the terminal. When both the ongoing terminal and concourse projects are completed, the airport will be able to handle upwards of 100 million passengers per year.

In 2021, the airport experienced a notable failure of the train system. In response, a request for information from the private sector was issued to analyze options to possibly supplement the train system in the future. By 2023, several companies proposed their ideas to transport passengers.

In 2022, a committee was formed to support efforts to establish flights between Denver and Africa.

In August 2022, DEN broke ground on an additional gate expansion project that will bring a total of 14 ground loaded gates to the east end of Concourse A to be used solely for Frontier Airlines operations. This A-East wing is intended to be removed once a more permanent A-East expansion (similar to what just opened in A-West) occurs at an unknown future date. This will be a gain of four gates for Frontier once completed. Currently there are several ground loaded gates at this location which were constructed back in 2018 for United's temporary regional operations while a new and additional regional wing was being constructed onto the east end of Concourse B. The new United Concourse B regional wing opened in late 2022 and United has now vacated the A regional wing making way for Frontier to move in once the renovations and addition are completed. The expanded Concourse A wing for Frontier is expected to open by mid-2024.

In December 2023 DEN started construction on a new 'Center of Equity and Excellence in Aviation' which will help underserved communities and prepare current and future employees for a career in aviation. The CEEA will be located directly below the Westin Hotel and DEN Plaza and is expected to open in late 2024 or early 2025.

In late 2023, the airport laid out preliminary plans to add four new concourses with 100 more gates east and west of the terminal by 2045. The project is being referred to as 'Operation 2045' and will help support the airport’s goal of serving over 125 million passengers annually by that time.

Facilities

The airport is 23 miles (37 km) from Downtown Denver, which is 15 miles (24 km) farther away than Stapleton International Airport, the airport DIA replaced.

The Air Traffic Control Tower and Concourse C at Denver International Airport with a United Airlines Boeing 737-800 taxiing below.
Photo by Bmurphy380, CC BY-SA 4.0.

The 52.4 square miles (136 km2; 33,500 acres) of land occupied by the airport is more than one and a half times the size of Manhattan (33.6 square miles or 87 square kilometres). DIA is larger in land area (excluding water) than the US cities of Boston, Massachusetts and San Francisco, California. DIA occupies the largest amount of commercial airport land area in North America, by a great extent. The land was transferred from Adams County to Denver after a 1989 vote, increasing the city's size by 50 percent and bifurcating the western portion of the neighboring county. All freeway traffic accessing the airport from central Denver leaves the city and passes through Aurora for nearly two miles (3.2 km), making the airport a practical exclave. Similarly, the A Line rail service connecting the airport with downtown Denver has two intervening stations in Aurora.

Terminal

The Denver International Airport area from above in August 2023.
Photo by Murphpics, CC BY-SA 4.0.

DIA has one terminal, named The Jeppesen Terminal after aviation safety pioneer Elrey Borge Jeppesen, and three midfield concourses, spaced far apart. The three midfield concourses have a total of 179 gates in operation as of late 2022. Concourse A is accessible via a pedestrian bridge directly from the terminal building, as well as via the underground train system that services all three concourses. For access to Concourses B and C, passengers must utilize the train. All international arrivals without border pre-clearance are processed in Concourse A; this concourse also has 4 3-jetway international gates that can support ADG Group VI aircraft such as an Airbus A380 and a Boeing 747-8, the two largest commercial aircraft in the world.

  • Concourse A is used by Delta Air Lines, Frontier Airlines, JetBlue, United Airlines (including all international arrivals), and all international carriers. It has 60 gates, including several ground level boarding gates and several double jetway gates.
  • Concourse B is solely used for United Airlines flights. It has 72 gates, including four double jetway gates and several regional gates.
  • Concourse C is primarily used for Southwest Airlines flights, as well as American Airlines, Alaska Airlines, and most regional airliner flights. It has 47 gates, including four ground level boarding gates.

In 2023, the airport announced a plan to significantly increase its passenger capacity by expanding the Jeppesen Terminal with additional check-in and TSA counters. The plan would also add new concourses with an additional 100 gates.

Smoking areas

Denver Airport is a smoke-free facility, which means that smoking is prohibited inside the terminal building, including all restaurants, bars, lounges, and airline clubs. This is in accordance with the Colorado Clean Indoor Air Act, which bans smoking in most public places and workplaces. However, there are smoking areas at the DEN Plaza, which is an outdoor space between the terminal and the Westin Hotel. There are also some outdoor smoking areas at Denver International Airport, which are accessible by exiting the following doors on the north and south ends of the terminal:

Available on the West Side of Jeppesen Terminal

Level 4 – Doors 400 and 416

Level 5 – Doors 500 and 516

Level 6 – Door 616

Available on the East Side of Jeppesen Terminal

Level 4 – Doors 401 and 417

Level 5 – Doors 501 and 517

Level 6 – Doors 601 and 617

Art and aesthetics

The Teflon-coated fiberglass roof of Denver International Airport alludes to the Rocky Mountains.
Photo by Sox23, CC BY-SA 3.0.

The Jeppesen Terminal's internationally recognized peaked roof, designed by Fentress Bradburn Architects, resembles snow-capped mountains and evokes the early history of Colorado when Native American teepees were located across the Great Plains. The catenary steel cable system, similar to the Brooklyn Bridge design, supports the fabric roof. DIA is also known for a pedestrian bridge connecting the terminal to Concourse A that allows travelers to walk from the main Terminal to Concourse A, while viewing planes taxiing beneath them. It offers views of the Rocky Mountains to the west and the high plains to the east.

Denver's public art program, which is financed by a mandatory 1% capital improvement budget, has resulted in a significant number of artworks being installed at the airport, where some can only be appreciated after passing through security. The artwork includes sculptures, murals, photos, sound art and paintings.

The airport features a bronze statue of Denver native Jack Swigert by Loveland, Colorado artist George Lundeen in Concourse B. Swigert flew on Apollo 13 as Command Module Pilot, and was elected to the House of Representatives in 1982, but died of cancer before he was sworn in. The statue is dressed in an A7L pressure suit, and is posed holding a gold-plated helmet. It is a duplicate of a statue placed at the United States Capitol in 1997. George Lundeen is also the sculptor of "The Aviator", a monumental bronze sculpture of Elrey Borge Jeppesen, for whom the terminal is named.

Denver International Airport has four murals by the Chicano artist Leo Tanguma. "Children of the World Dream of Peace" is in two-parts. The first depicts the horrors of war, with a man in a gas-mask brandishing a saber. The second, larger part shows this man toppled, and smiling children from many nations making swords into plowshares; Tanguma explains this is a reference to the Book of Isaiah 2:4: "and they shall beat their swords into plowshares—nation shall not lift up sword against nation, neither shall they learn war any more." Per Denver Public Art, "Children of the World Dream of Peace" is a powerful mural expressing the artist's desire to abolish violence in society. One section of the piece speaks to the tragedy and devastation of war and its impact on humanity. The mural then moves on to images of smiling children, dressed in traditional folk costumes from around the world, celebrating peace prevailing over war." "In Peace and Harmony With Nature" is also in two parts; Denver Public Art explains that "The first half of the mural shows children displaying great sadness over the destruction and extinction of life, as the second half of the artwork depicts humanity coming together to rehabilitate and celebrate nature." Tanguma confirms this was his intent.

In March 2019, the airport unveiled an animated, talking gargoyle in the middle of one of the concourses. The gargoyle interacted with passengers and joked about the supposed conspiracies connected to the airport.

Blue Mustang, by El Paso-born artist Luis Jiménez, was one of the earliest public art commissions for Denver International Airport in 1993. The 32-foot-tall (9.8 m) sculpture is a bright blue cast-fiberglass sculpture of a horse with glowing red eyes located between the inbound and outbound lanes of Peña Boulevard. Jiménez was killed in 2006 at age 65 while creating the sculpture when a part of it fell on him and severed an artery in his leg. At the time of his death, Jiménez had completed painting the head of the mustang. Blue Mustang was completed by others, and unveiled at the airport on February 11, 2008. The statue has been the subject of considerable controversy, and has acquired the nickname Blucifer for its demonic appearance.

Ground transportation

The Regional Transportation District (RTD) operates the A Line rail service between DIA and Denver Union Station in downtown Denver, making the 37 minute trip about every 15 minutes. RTD also operates an airport express bus service called skyRide between Arapahoe County or Boulder and DIA. There is also hourly service to Thornton on RTD route 104L, a limited stop bus. The airport is also served by two commuter routes with just a few runs per day: RTD route 145X to Brighton and 169L to Aurora.

Scheduled bus service is also available to points such as Fort Collins, and van services stretch into Nebraska, Wyoming, and Colorado summer and ski resort areas. Amtrak offers a Fly-Rail plan for ticketing with United Airlines for trips into scenic areas in the Western U.S. via a Denver stopover.

The airport is connected to the I-70 and Denver via the Peña Boulevard freeway. A number of car rental companies are located at the airport, providing courtesy shuttle services from Jeppesen Terminal Level 5, Island 4, to their parking areas.

The airport claims that it is completely accessible to bicycling travelers. The city of Denver's designated bike route consists of the non-separated shoulders of the 65-mph Peña Boulevard freeway, a route which Denver's former bicycle planner James Mackay has called "a facade, an appearance, a deceit, a contrivance." The airport suggests that cyclists who prefer a less-traveled route may use 56th Avenue to Valleyhead Road, a rural 55-mph highway with no shoulder.

Conspiracy theories

Conspiracies concerning the airport started shortly after its completion due to the type of art, unusual architecture, and construction problems. With the expansion of the internet, television shows such as Conspiracy Theory, and annual media reporting of these theories, they continued to grow. Airport administration decided to embrace the conspiracy theories instead of trying to fight them. In 2019, an animatronic gargoyle named Gregoriden, or Greg for short, that randomly makes statements such as "welcome to Illuminati headquarters" was installed. Some took offence to the gargoyle, claiming it was satanic, so the gargoyle was removed and replaced with a more muted version. Other gargoyle statues, sitting on open suitcases, are in the baggage claim area. Some also view these statues as malevolent, despite their intended purpose as playful artistic creations that are claimed to safeguard luggage.

In April 2019, the Roswell International Air Center and Denver International Airport became "supernatural sister airports." In the agreement, they would work together to enhance industry best practices that involve commerce, trade and tourism. It also includes a clause that they would share strategies for extraterrestrial combat. For the airport's 20th birthday, plans to decorate the airport property with crop circles proved to be too expensive, so was not implemented. In a marketing campaign that was tied to renovations started in 2018, posters were created with aliens joking that breeding grounds for gargoyles or meeting halls for Freemasons were being constructed. The campaign was successful, generating over $8 million in revenue.

Theories

  • Tunnels: The delay in opening the airport and the large budget overrun led to a variety of rumors about the tunnels that were built under the airport. The scope has been exaggerated, and there is lore that the tunnels lead to underground survival bunkers for the rich and elite, military bases, homes for aliens, homes for lizard people, or to the North American Aerospace Defense Command. The actual use for the tunnels is to move luggage between check-in counters, airplanes and baggage claim areas. Employees have been known to prank the media by wearing lizard masks. Videos of blurry lizard people have appeared online and drawings of aliens have appeared on tunnel walls. However, other graffiti, besides alien drawings, exist along the tunnels.
  • New World Order and other secret societies: Because of the isolated location, there are rumors that the airport will be used by the New World Order as a prison or concentration camp. The time capsule at the airport showcases an inscribed plaque that has the Freemason symbol and the words "New World Airport Commission," which is a group that has never existed, prompting the conspiracy theory that the airport is controlled by Freemasons and linked to the New World Order or other secret societies. A spokesperson for the Denver International Airport, Alex Renteria, has said that the Freemasons had created the cover, and thus had included their symbol, but there is no evidence that they have any influence in running the airport. The wording about the commission was used to represent that the new airport would permit access to the world and is a reference to Dvorák's New World Symphony.
  • Nazism: Tanguma's murals have been purported to represent Nazism, death, or a prophecy of the end of the world, counter to the artist's meaning. The removal of the murals to keep them safe during construction prompted rumors that the project was an excuse to cover the truth. In addition, there are conspiracy theories around Nazism based on the supposed swastika-shaped runway, which aerial views refute.
  • Alien languages: People have noted apparent markings that are supposed to represent alien or secret languages. The markings are actually Navajo language characters and identifiers for the airport artists.
  • Blue Mustang eyes: The red, glowing eyes have led some to call the horse statue demonic, thinking that the glowing eyes are referencing the Four Horsemen of the Apocalypse. The eyes are actually a tribute to the artist's father, who owned a neon light shop in Mexico.
  • Flat Earth: On TikTok in April 2023, a video went viral, claiming that an artistic 30-year-old world map art installation was new and confirmed flat earth theory.

Airlines and destinations

Passenger

Airlines Destinations
Aer Lingus Dublin (begins May 17, 2024)
Aeroméxico Mexico City
Air Canada Montréal–Trudeau, Toronto–Pearson, Vancouver
Air France Seasonal: Paris–Charles de Gaulle
Alaska Airlines Portland (OR), Seattle/Tacoma Seasonal: Anchorage
Allegiant Air Allentown, Appleton, Asheville Seasonal: Cincinnati, Knoxville, Peoria
American Airlines Charlotte, Chicago–O'Hare, Dallas/Fort Worth, Miami, Philadelphia, Phoenix–Sky Harbor
American Eagle Los Angeles, Phoenix–Sky Harbor
Breeze Airways Seasonal: Providence (begins May 16, 2024)
British Airways London–Heathrow
Cayman Airways Seasonal: Grand Cayman
Copa Airlines Panama City–Tocumen
Delta Air Lines Atlanta, Boston, Cincinnati, Detroit, Los Angeles, Minneapolis/St. Paul, New York–JFK, New York–LaGuardia, Salt Lake City, Seattle/Tacoma
Denver Air Connection Alamosa, Alliance, Clovis (NM), Cortez, Kearney, McCook, Pierre, Telluride (CO), Watertown (SD)
Edelweiss Air Seasonal: Zürich
Frontier Airlines Atlanta, Austin, Cancún, Cedar Rapids/Iowa City, Charlotte, Chicago–Midway, Chicago–O'Hare (begins April 10, 2024), Cincinnati, Cleveland, Columbus–Glenn, Cozumel, Dallas/Fort Worth, Des Moines, Detroit, El Paso, Fargo, Fayetteville/Bentonville, Houston–Hobby, Houston–Intercontinental, Indianapolis, Kansas City, Knoxville, Las Vegas, Little Rock, Los Angeles (begins April 10, 2024), Louisville, Madison, Memphis, Miami, Milwaukee, Minneapolis/St. Paul, Nashville, New Orleans, New York–LaGuardia (begins May 16, 2024), Oklahoma City, Omaha, Ontario, Orange County, Orlando, Pensacola, Philadelphia, Phoenix–Sky Harbor, Pittsburgh, Portland (OR), Raleigh/Durham, Sacramento, Salt Lake City, San Antonio, San Diego, San Francisco, San José del Cabo, Seattle/Tacoma, St. Louis, Tampa, Washington–National Seasonal: Baltimore, Bloomington/Normal, Branson, Charleston (SC), Fort Myers, Glacier Park/Kalispell, Grand Rapids, Green Bay, Harrisburg, Jacksonville (FL), Missoula, Montego Bay, Puerto Vallarta, Savannah, Sioux Falls, Syracuse
Icelandair Seasonal: Reykjavík–Keflavík
JetBlue Boston, New York–JFK, New York–LaGuardia (ends March 30, 2024)
Lufthansa Frankfurt, Munich
Southern Airways Express Chadron, Pueblo
Southwest Airlines Albany, Albuquerque, Atlanta, Austin, Baltimore, Birmingham (AL), Boise, Boston, Bozeman, Buffalo, Burbank, Cancún, Charlotte, Chicago–Midway, Chicago–O'Hare, Cincinnati, Cleveland, Colorado Springs, Columbus–Glenn, Dallas–Love, Des Moines, Detroit, El Paso, Eugene, Fort Lauderdale, Fresno, Grand Rapids, Hartford, Hayden/Steamboat Springs, Houston–Hobby, Houston–Intercontinental, Indianapolis, Jacksonville (FL), Kansas City, Las Vegas, Little Rock, Long Beach, Los Angeles, Louisville, Lubbock, Memphis, Miami, Milwaukee, Minneapolis/St. Paul, Montrose, Nashville, New Orleans, New York–LaGuardia, Oakland, Oklahoma City, Omaha, Ontario, Orange County (CA), Orlando, Palm Springs, Philadelphia, Phoenix–Sky Harbor, Pittsburgh, Portland (OR), Puerto Vallarta, Raleigh/Durham, Reno/Tahoe, Richmond, Sacramento, Salt Lake City, San Antonio, San Diego, San Francisco, San Jose (CA), San José del Cabo, Santa Barbara, Seattle/Tacoma, Spokane, St. Louis, Tampa, Tucson, Tulsa, Washington–Dulles, Wichita Seasonal: Amarillo, Belize City, Bellingham, Charleston (SC), Cozumel, Fort Myers, Greenville/Spartanburg (begins June 8, 2024), Liberia (CR), Midland/Odessa, Myrtle Beach, Norfolk, Panama City (FL), Pensacola, Providence (resumes June 8, 2024), San José (CR), Sarasota, Savannah
Sun Country Airlines Minneapolis/St. Paul
United Airlines Albuquerque, Anchorage, Atlanta, Austin, Baltimore, Billings, Boise, Boston, Bozeman, Burbank, Calgary, Cancún, Cedar Rapids/Iowa City, Charleston (SC), Charlotte, Chicago–O'Hare, Cincinnati, Cleveland, Colorado Springs, Columbus–Glenn, Dallas/Fort Worth, Des Moines, Detroit, Durango (CO), Edmonton (resumes March 31, 2024), El Paso, Eugene, Fort Lauderdale, Fort Myers, Frankfurt, Fresno, Glacier Park/Kalispell, Grand Rapids, Grand Junction, Hartford, Honolulu, Houston–Intercontinental, Indianapolis, Jackson Hole, Jacksonville (FL), Kahului, Kailua-Kona, Kansas City, Las Vegas, Lihue, London–Heathrow, Los Angeles, Louisville, Madison, Medford, Memphis, Miami, Milwaukee, Minneapolis/St. Paul, Missoula, Montego Bay, Munich, Nashville, Newark, New Orleans, New York–LaGuardia, Norfolk, Oklahoma City, Omaha, Ontario, Orange County, Orlando, Philadelphia, Phoenix–Sky Harbor, Pittsburgh, Portland (OR), Puerto Vallarta, Raleigh/Durham, Rapid City, Redmond/Bend, Reno/Tahoe, Richmond, Sacramento, Salt Lake City, San Antonio, San Diego, San Francisco, San Jose (CA), San José del Cabo, San Juan, Santa Barbara, Savannah, Seattle/Tacoma, Sioux Falls, Spokane, St. Louis, Syracuse, Tampa, Tokyo–Narita, Toronto–Pearson, Tucson, Tulsa, Tulum (begins December 19, 2024), Vancouver, Washington–Dulles, Washington–National, Wichita Seasonal: Belize City, Burlington (VT), Cozumel, Fairbanks (resumes May 23, 2024), Fargo (begins May 23, 2024), Great Falls, Hayden/Steamboat Springs, Liberia (CR), Montrose, Myrtle Beach (begins May 25, 2024), Nassau, Palm Springs, Portland (ME), Roatán, San José (CR), Sarasota, Traverse City
United Express Albuquerque, Amarillo, Appleton, Asheville, Aspen, Bakersfield, Billings, Birmingham (AL), Bismarck, Bozeman, Casper, Cheyenne, Cody, Colorado Springs, Dallas/Fort Worth, Dayton, Des Moines, Devils Lake, Dickinson, Dodge City, Durango (CO), Eagle/Vail, Edmonton (ends March 30, 2024), El Paso, Eureka, Fargo, Fayetteville/Bentonville, Fresno, Gillette, Glacier Park/Kalispell, Grand Junction, Greensboro, Greenville/Spartanburg, Gunnison/Crested Butte, Hayden/Steamboat Springs, Hays, Helena, Hobbs, Huntsville, Idaho Falls, Jackson Hole, Jamestown (ND), Joplin, Kansas City, Knoxville, Laramie, Lewiston, Lexington, Liberal, Lincoln, Little Rock, Louisville, Lubbock, Midland/Odessa, Minot, Missoula, Moline/Quad Cities, Monterey, Montrose, North Platte, Oklahoma City, Omaha, Palm Springs, Phoenix–Sky Harbor, Prescott, Rapid City, Reno/Tahoe, Riverton, Rock Springs, Salina, Salt Lake City, San Luis Obispo, Santa Barbara, Santa Fe, Scottsbluff, Sheridan (WY), Shreveport, Sioux City, Sioux Falls, Springfield/Branson, St. George (UT), Tri-Cities (WA), Tucson, Tulsa, Wichita, Williston (ND), Winnipeg (resumes May 23, 2024) Seasonal: Bishop, Boise, Great Falls, Harlingen (begins March 9, 2024), North Bend/Coos Bay, Panama City (FL), Pensacola, Sarasota, Sun Valley, Traverse City, West Yellowstone
Viva Aerobus Monterrey
Volaris Chihuahua, Guadalajara, Mexico City
WestJet Seasonal: Calgary

Cargo

Airlines Destinations
AirNet Express Columbus-Rickenbacker
Alpine Air Express Colorado Springs, Cheyenne, Gunnison, Hayden, Salida
Amazon Air Cincinnati, Ontario
Bemidji Airlines Colby, Goodland, McCook, North Platte, Sidney, Trinidad
DHL Aviation Cincinnati, Reno/Tahoe
FedEx Express Billings, Fort Worth/Alliance, Fresno, Indianapolis, Los Angeles, Memphis, Oakland, Phoenix–Sky Harbor, San Jose (CA) Seasonal: Houston– Intercontinental
Lufthansa Cargo Frankfurt, Munich
UPS Airlines Billings, Burbank, Chicago/Rockford, Everett, Louisville, Ontario, Reno/Tahoe, Salt Lake City, Seattle–Boeing

Statistics

Top destinations

Busiest domestic routes from DEN (November 2022 – October 2023)
Rank City Passengers Carriers
1 Las Vegas, Nevada 1,195,000 Frontier, Southwest, Spirit, United
2 Phoenix–Sky Harbor, Arizona 1,168,000 American, Frontier, Southwest, United
3 Chicago–O'Hare, Illinois 1,001,000 American, Frontier, Southwest, Spirit, United
4 Los Angeles, California 959,000 American, Delta, Frontier, Southwest, Spirit, United
5 Atlanta, Georgia 921,000 Delta, Frontier, Southwest, Spirit, United
6 Seattle/Tacoma, Washington 919,000 Alaska, Delta, Frontier, Southwest, United
7 San Francisco, California 882,000 Frontier, Southwest, United
8 Minneapolis/St. Paul, Minnesota 871,000 Delta, Frontier, Southwest, Spirit, Sun Country, United
9 Dallas/Fort Worth, Texas 843,000 American, Frontier, Southwest, United
10 Salt Lake City, Utah 834,000 Delta, Frontier, Southwest, United

Busiest international routes from DEN (October 2021 – September 2022)
Rank Airport Passengers Carriers
1 Cancún, Mexico 642,967 Frontier, Southwest, United
2 Frankfurt, Germany 277,864 Lufthansa, United
3 London–Heathrow, United Kingdom 264,649 British Airways, United
4 San José del Cabo, Mexico 240,387 Frontier, Southwest, United
5 Puerto Vallarta, Mexico 204,418 Frontier, Southwest, United
6 Vancouver, Canada 203,397 Air Canada, United
7 Toronto–Pearson, Canada 194,036 Air Canada, United
8 Munich, Germany 186,921 Lufthansa, United
9 Mexico City, Mexico 183,100 Aeroméxico, Volaris
10 Calgary, Canada 162,844 United, WestJet

Annual traffic

Annual passenger traffic at DEN, 1995–present
Year Passengers Year Passengers Year Passengers
1995 31,067,498[a] 2005 43,387,369 2015 54,014,502
1996 32,296,174 2006 47,326,506 2016 58,266,515
1997 34,969,837 2007 49,863,352 2017 61,379,396
1998 36,831,400 2008 51,245,334 2018 64,494,613
1999 38,034,017 2009 50,167,485 2019 69,015,703
2000 38,751,687 2010 51,985,038 2020 33,741,129
2001 36,092,806 2011 52,849,132 2021 58,828,552
2002 35,652,084 2012 53,156,278 2022 69,286,461
2003 37,505,267 2013 52,556,359 2023 77,837,917
2004 42,275,913 2014 53,472,514
[a] Passenger totals for first two months of 1995 reflect operations at Stapleton International Airport.

Airline market share

Largest Airlines at DEN (January 2022 – December 2022)
Rank Airline Passengers Share
1 United Airlines 23,112,000 35.97%
2 Southwest Airlines 20,552,000 31.99%
3 Frontier Airlines 6,493,000 10.10%
4 SkyWest Airlines 6,013,000 9.36%
5 Delta Air Lines 3,060,000 4.76%
6 Other airlines 5,025,000 7.82%

Accidents and incidents

  • On February 16, 2007, 14 aircraft suffered windshield failures within a three-and-a-half-hour period at the airport. A total of 26 windshields on these aircraft failed. The NTSB opened an investigation, determining that foreign object damage was the cause, possibly the sharp sand used earlier that winter for traction purposes combined with wind gusts of 48 mph (77 km/h).
  • On December 20, 2008, a Continental Airlines Boeing 737-500 operating as Flight 1404 to Houston–Intercontinental Airport veered off the left side of runway 34R and caught fire during its takeoff roll at DIA. There were 38 injuries sustained by the passengers and crew; however, there were no fatalities. There was no snow or ice on the runway, however there were 31-knot (36 mph; 57 km/h) crosswinds at the time of the accident. On July 13, 2010, the NTSB published that the probable cause of this accident was the captain's cessation of right rudder input, which was needed to maintain directional control of the airplane.
  • On April 3, 2012, an ExpressJet Embraer ERJ-145, registration N15973, operating as Flight UA/EV-5912 from Peoria, IL to Denver, was landing on 34R when the aircraft hit the approach lights and stopped on the runway. Smoke developed inside the aircraft and passengers were evacuated onto the runway. One passenger was taken to a hospital for treatment of his injuries.
  • On February 20, 2021, United Airlines Flight 328, a Boeing 777-200 that was on its way from Denver to Honolulu, Hawaii, suffered engine damage just after takeoff and had to return to Denver International Airport. Debris from the damaged engine fell on a neighborhood in Broomfield, a city around 25 miles from the airport. The damaged airplane landed safely on runway 26 and no injuries were reported.


Text from Wikipedia is available under the Creative Commons Attribution/Share-Alike License; additional terms may apply.

The content above was published at Airports-Worldwide.com in 2024.
We donʼt guarantee the information is fresh and accurate. The data may be wrong or outdated.
For more up-to-date information please refer to other sources.

















christianity portal
directory of hotels worldwide
 
 

Copyright 2004-2026 © by Airports-Worldwide.com, Vyshenskoho st. 36, Lviv 79010, Ukraine
Legal Disclaimer