City of Colorado Springs Municipal Airport in Colorado Colorado airports - City of Colorado Springs Municipal Airport
City of Colorado Springs Municipal Airport in Colorado - United States
Colorado Airports
USA Airports
World Airports
Airport photos
Aircraft photos
Spacecraft photos
Earth from airplane
Earth from space
Aviation Articles

City of Colorado Springs Municipal Airport

City of Colorado Springs Municipal Airport (IATA: COS, ICAO: KCOS, FAA LID: COS), known as Colorado Springs Airport, is a city-owned public civil-military airport 6 miles (9.7 km) southeast of downtown Colorado Springs, in El Paso County, Colorado, United States. It is the second busiest commercial service airport in the state after Denver International Airport. Peterson Space Force Base, which is located on the north side of runway 13/31, is a tenant of the airport.

City of Colorado Springs Municipal Airport
Official Colorado Springs Airport Logo 2015
Colorado Springs Airport Terminal Building taken at dusk. Photo was taken to promote airport, CC BY 3.0.
  • IATA: COS
  • ICAO: KCOS
  • FAA LID: COS
  • WMO: 72466
Summary
Airport type Public / Military
Owner/Operator City of Colorado Springs
Serves Colorado Springs, Colorado
Elevation AMSL 6,187 ft / 1,886 m
Coordinates 38°48′21″N 104°42′03″W
Website www.flycos.com
Maps
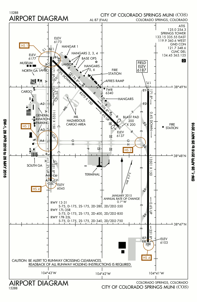
FAA airport diagram FAA airport diagram

COS is located in Colorado

COS

Location of airport in Colorado
Runways
Direction Length Surface
ft m
17L/35R 13,500 4,115 Concrete
17R/35L 11,022 3,360 Asphalt
13/31 8,270 2,521 Asphalt
Statistics (2023)
Total passengers 2,347,008
Aircraft operations 157,414

History

In 1927 the airport opened on 640 acres (260 ha) 7 miles (11 km) east of the city, with two gravel runways. For the first ten years several small airlines operated a mail route from Cheyenne, Wyoming, to Pueblo, Colorado, with stops at Denver and Colorado Springs. These airlines only occasionally carried passengers. In 1937, Continental Airlines began service between Denver and El Paso, Texas, with stops at Colorado Springs, Pueblo, Las Vegas, New Mexico, Santa Fe, and Albuquerque. In 1943 Braniff Airways began service on a Denver-Colorado Springs-Pueblo-Amarillo route. At Amarillo, flights would continue onto Dallas and Houston or onto Oklahoma City, Tulsa, Little Rock, and Memphis. The first municipal terminal was built in 1942 in an art deco style. Soon after the terminal was built the field was taken over by the military in the months preceding World War II. After the war, the city regained control.

In 1966 a new terminal was built on the west side of the runways, just east of Powers Boulevard. This terminal expanded by the 1980s, with a six gate addition. By 1991 the airport had three 150-foot (46 m) wide runways, one 13,501 feet (4,115 m) long, making it the longest runway in Colorado until 16R/34L, a 16,000-foot (4,900 m) runway, opened at Denver International Airport in September 2003. In 1991 the city approved a new terminal, two miles east of the former terminal, in the south-center part of the airport. The 280,000-square-foot (26,000 m2) terminal opened on October 22, 1994 with 12 gates; it was designed by the Van Sant Group and cost $140 million. In the 1990s a second, five-gate concourse was added on the east side of the main terminal.

In 1996, the 1941 passenger terminal, two hangars, and a caretaker residence — by that time all located on Peterson Air Force Base — were inscribed on the National Register of Historic Places. They form the campus of the Peterson Air and Space Museum.

From the 1980s to the present day, the airport has tried to expand service. The largest number of passengers was nearly 5 million in 1996 when now-defunct Western Pacific Airlines had a hub at COS (Western Pacific moved the hub to Denver International Airport in late 1996). Their timetable for 15 June shows 33 daily departures to 20 airports between the west coast and Newark and Washington Dulles. Frontier Airlines added and dropped various routes from Colorado Springs throughout the 2010s. Southwest Airlines announced in October 2020 that they would begin serving the airport in 2021. Southwest conducted their first flights in March 2021, which has since bolstered the airport's commercial traffic.

In May 2021, the airport began a pavement rehabilitation project, closing runway 17R/35L for remodeling. The upgrades include new asphalt, lighting, and navigation equipment. The airport announced in November 2021 that the main concourse (gates 1–12) will undergo a $10–$20 million renovation and will be completed in 3 to 5 years. The concourse was completed in 1994 and has not been renovated since then. The design has become outdated, prompting airport officials to renovate. On March 1, officials announced that COS will receive a $6 million grant to complete the planned renovation. Construction will start in the summer of 2023.

In March 2022, the Colorado Springs Airport released a plan to expand the airport, with plans to double the number of gates from 12 to 24, relocate the control tower, and consolidate other airport services.

Facilities

The airport covers 7,200 acres (29 km2) and has three paved runways: 17L/35R, 13,500 ft × 150 ft (4,115 m × 46 m) long, 17R/35L, 11,022 ft × 150 ft (3,360 m × 46 m) and 13/31, 8,270 ft × 150 ft (2,521 m × 46 m).

Location and access

Busy morning ramp. Image by own work, CC BY-SA 4.0.

Busy morning ramp. Image by own work, CC BY-SA 4.0.

The airport is located on the east side of Colorado Springs, accessible by Milton E. Proby Parkway via Powers Boulevard/SH 21. Milton E. Proby Parkway loops through the airport running north to the terminal, with exits to long and short term parking and rental car return, and eventually splits into an upper departures drop-off area and lower arrivals pick-up area east of the terminal. The road converges again on the west side of the terminal and runs south, joined by access roads, parking lot exits, and rental car exits. There is also an exit to return to the terminal via the northbound airport entrance.

Milton E. Proby Parkway also provides access to other airport facilities and tenants, including a Northrop Grumman building and an Amazon distribution center via Peak Innovation Parkway.

Powers Boulevard/SH 21, a primary expressway in El Paso County, runs west of the airport and provides easy access to general and private aviation hangars, maintenance facilities (including the SkyWest hangar), and FBOs (Cutter Aviation, jetCenter, and the J.H.W. Hangar Complex). The expressway also provides North-South access to the Colorado Springs and Falcon (via Highway 24) region.

Terminal and gate information

Colorado Springs Airport has one terminal with two concourses. However, only one, the larger concourse housing gates 1–12, has ever been put to commercial use; the second concourse (called the Western Pacific Airlines concourse) contains gates 14–18 (there is no gate 13) and is now mainly used for meetings. Access between the concourses requires leaving the secure area, walking through the main terminal and down a long hallway. There is no public access to these gates. With the announcement of the addition of 12 gates onto the existing terminal, the airport plans to demolish gates 14–18, as they are nearing the end of their useful life.

Transportation

Shuttles and buses

The airport is serviced by Colorado Springs' public transportation system, Mountain Metropolitan Transit. Service from private transportation, such as Groome Transportation, is also available.

Rental vehicles

Alamo, Avis, Budget, Dollar, Enterprise, Hertz, and National Car Rental provide on-airport car rentals. The rental car check in counters are located on the lower level outside of the secured area, across from baggage claim.

Airlines and destinations

Passenger

Airlines Destinations
American Airlines Dallas/Fort Worth
American Eagle Dallas/Fort Worth
Avelo Airlines Seasonal: Burbank
Delta Air Lines Atlanta Seasonal: Minneapolis/St. Paul
Delta Connection Salt Lake City
Southwest Airlines Baltimore (begins June 4, 2024), Chicago–Midway, Dallas–Love, Denver, Las Vegas, Long Beach, Phoenix–Sky Harbor Seasonal: Houston–Hobby
Sun Country Airlines Seasonal: Minneapolis/St. Paul
United Airlines Chicago–O'Hare, Denver
United Express Chicago–O'Hare, Denver, Houston–Intercontinental

Destinations map

COS Destinations map

Cargo

Airlines Destinations
FedEx Express Memphis, Grand Junction, San Bernardino, Ontario

Statistics

Top destinations

Busiest domestic routes from COS (November 2022 – October 2023)
Rank City Passengers Carriers
1 Denver, Colorado 312,000 Southwest, United
2 Dallas/Fort Worth, Texas 200,000 American
3 Dallas–Love, Texas 125,000 Southwest
4 Las Vegas, Nevada 117,000 Southwest
5 Phoenix–Sky Harbor, Arizona 109,000 Southwest
6 Chicago-O'Hare, Illinois 64,000 United
7 Chicago-Midway, Illinois 59,000 Southwest
8 Houston–Intercontinental, Texas 40,000 United
9 Salt Lake City, Utah 36,000 Delta
10 Atlanta, Georgia 22,000 Delta

Airline market share

Largest airlines at COS (November 2022 – October 2023)
Rank Airline Passengers Share
1 Southwest Airlines 1,158,000 51.24%
2 SkyWest Airlines 477,000 21.11%
3 American Airlines 316,000 13.98%
4 United Airlines 148,000 6.54%
5 Delta Airlines 65,000 2.92%
Other Airlines 95,000 4.21%

Accidents and incidents

  • On March 3, 1991, United Airlines Flight 585, a Boeing 737-291 flying from Peoria, Illinois, to Colorado Springs via Denver, crashed on final approach to Colorado Springs Runway 35 after a rudder malfunction caused the aircraft to roll over and dive, killing all 25 on board.
  • On December 21, 1997, a Beechcraft King Air operated by Aviation Charter flying in from Minneapolis St. Paul International Airport impacted terrain at Colorado Springs Airport in fog during a missed instrument landing system (ILS) approach. Both passengers on board were Northwest Airlines mechanics being flown in to repair a Northwest Airlines aircraft at COS. The pilot and one passenger were killed; the other passenger sustained serious injuries.
  • On April 16, 2018, a fire broke out on the airport's roof. There were no casualties, but the event resulted in the airport being closed for a single day.


Text from Wikipedia is available under the Creative Commons Attribution/Share-Alike License; additional terms may apply.

The content above was published at Airports-Worldwide.com in 2024.
We donʼt guarantee the information is fresh and accurate. The data may be wrong or outdated.
For more up-to-date information please refer to other sources.

















christianity portal
directory of hotels worldwide
 
 

Copyright 2004-2025 © by Airports-Worldwide.com, Vyshenskoho st. 36, Lviv 79010, Ukraine
Legal Disclaimer