 |
|
Phoenix Sky Harbor International Airport |
| Phoenix Sky Harbor International Airport |
 |
 |
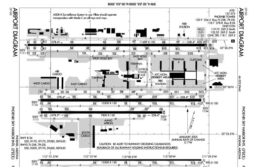
| FAA airport diagram for PHX |
| IATA: PHX – ICAO: KPHX – FAA LID: PHX
Location of the Phoenix Sky Harbor International Airport
|
| Summary |
| Airport type |
Public |
| Owner |
City of Phoenix |
| Operator |
Phoenix Airport System |
| Serves |
Phoenix, Arizona |
| Location |
Phoenix, Arizona |
| Hub for |
- Ameriflight
- Great Lakes Airlines
- Swift Air
- US Airways
|
| Elevation AMSL |
1,135 ft / 346 m |
| Coordinates |
33°26′03″N 112°00′42″W / 33.43417°N 112.01167°W / 33.43417; -112.01167 |
| Website |
www.skyharbor.com |
| Runways |
| Direction |
Length |
Surface |
| ft |
m |
| 8/26 |
11,489 |
3,502 |
Concrete |
| 7L/25R |
10,300 |
3,139 |
Concrete |
| 7R/25L |
7,800 |
2,377 |
Concrete |
| Helipads |
| Number |
Length |
Surface |
| ft |
m |
| H1 |
60 |
18 |
Concrete |
| H2 |
60 |
18 |
Concrete |
| Statistics (2008) |
| Aircraft operations |
502,499 |
| Passenger boardings |
19,816,493 |
| Passenger volume |
39,891,193 |
| Cargo tonnage |
276,175 |
| Source: Federal Aviation Administration |
Phoenix Sky Harbor International Airport (IATA: PHX, ICAO: KPHX, FAA LID: PHX) is located in Phoenix, Maricopa County, Arizona and is the largest and busiest airport in the state of Arizona, followed by Tucson International Airport. Overview
Phoenix Sky Harbor International Airport is a joint civil-military public airport located 3 miles (4.8 km) southeast of the central business district of the city of Phoenix, in Maricopa County, Arizona, United States. It is Arizona's main international airport and the largest commercial airport in the American Southwest.
Sky Harbor has been operating under its current name since prior to 1935, when it was purchased by the city of Phoenix. In the 1950s, it was serviced by four airline carriers (American Airlines, Delta Air Lines, the original Frontier Airlines, and United Airlines). Today, the airport is the primary regional hub and Mexico gateway for Tempe-based US Airways (the airport’s largest operator), the third largest hub for domestic commuter, Great Lakes Airlines and is also the third-largest focus city for Southwest Airlines (the airport's second largest operator). Since beginning service in 1982, Southwest Airlines has grown to capture more than 34% of the market share. Since 1990, Southwest Airlines traffic from Phoenix has increased more than 352%.
Both, US Airways and Southwest Airlines currently operate out of Sky Harbor's Terminal 4, which handles about 80% of the traffic through the airport.
British Airways provides the airport's only nonstop service outside of North America to London-Heathrow. US Airways and Hawaiian Airlines offer non-stop service outside the Continental United States to Hawaii. US Airways and Aeroméxico Connect offer non-stop service to cities in Mexico and US Airways, Air Canada, and WestJet offer non-stop service to parts of Canada, while US Airways alone, offers non-stop service to parts of Alaska and Central America. US Airways is expected to begin nonstop service between Phoenix and Tokyo-Narita in 2012 utilizing an Airbus A330-200 series aircraft, which, if launched, would be the first nonstop route between Phoenix and Asia, but second proposed route to Asia; as back in 1989, America West Airlines offered a nonstop route to Nagoya using one of their few Boeing 747’s, but was denied Government Approval due to the submission of Chapter 11 bankruptcy by the airline, which cancelled all Hawaiian and Asian routes for the airline. America West instead, offered one-stop service to Tokyo-Narita via Honolulu after they recovered from bankruptcy.
Federal Aviation Administration (FAA) records show the airport had 20,315,544 commercial passenger boardings (enplanements) in calendar year 2005 and 20,591,906 enplanements in 2006.
In 2008, the airport served 39,891,193 passengers, making it the ninth busiest in the United States, in terms of passengers, today the airport is recorded as the ninth busiest in the United States and one of the top 15 busiest airports in the world with a 90 million dollar daily economic impact. On a daily basis the airport handles about 1,486 aircraft that arrive and depart, along with 108,887 passengers daily, and more than 600 tons of cargo handled.
Because of Phoenix's consistent wind patterns, Sky Harbor is one of the largest airports in the world to have all runways running parallel (in the east-west direction).
Sky Harbor's private airplane area also serves as one of eight service centers for the Medevac airline Air Evac.
Control tower
The airport's current 326-foot (99-meter) tall air traffic control tower began operations on January 14, 2007. The tower stands just east of the Terminal 3 parking garage, and also houses the Phoenix TRACON. This is Sky Harbor's third control tower.
Terminals
 | |
Aerial view of the new control tower in the foreground, and the old control tower in the background, with Terminal 3 in between, looking southwest. |
The airport has over 120 aircraft gates in three Terminals (2, 3, 4). Terminal 1, the original terminal from 1952, was torn down in 1990 and replaced by a cell phone waiting lot. The airport administration states that the designation Terminal 1 has been "retired", and that it did not wish to renumber the other terminals since passengers were already familiar with the numbers in place. Free wireless internet access is available in all terminals.
Terminal 2
Terminal 2 has 9 gates (numbered unconsecutively 1-13 and two additional lettered gates C & D) and three parking slots. It was designed by the Phoenix architectural firm, Weaver & Drover and opened in 1962. This terminal includes a mural by French-American artist Paul Coze. In November 2006, a Military and Veterans Hospitality Room, sponsored by the Phoenix Military and Veterans Commission, was opened in Terminal 2.
Terminal 3
 | |
A US Airways Boeing 757-200 and other aircraft in line for departure on Runways 7L and 7R. |
Terminal 3 opened in 1979 and has 17 gates, separated into two concourses by a central building outside of security. The south concourse houses gates 2–9 and the north concourse houses gates 15-26. Its only lounge - Delta's Crown Room Club - was closed on April 30, 2008.
Terminal 4 (Barry M. Goldwater Terminal)
Terminal 4 has more than 90 gates, divided into seven satellite concourses connected behind security. Three northern concourses (gates A1-A14, A17-A30, B1-B14) serve US Airways and US Airways Express exclusively. The northeastern concourse "B" houses the international gates (B23-B28). The three southern concourses (gates C1-C10, C11-C20, D1-D8) serve Southwest Airlines exclusively.
The terminal, opened in 1990, is named after former Arizona Senator and 1964 Presidential candidate Barry M. Goldwater. The terminal was originally built with four concourses: N2 and N3 on the north side and S3 and S4 on the south side. In 1994, the N4 International Concourse was opened, adding 10 new gates and a sterile walkway connecting it to the S4 concourse. In 1997, construction began on the 14-gate N1 concourse, for America West Airlines. It was completed in June 1998 at a cost of $50 million, completing the expansion of the north side of the terminal. On the south side of the terminal, construction began in 2002 on the eight-gate S2 concourse for Southwest Airlines. This project was completed in 2004 and features a different architectural design from the other six concourses. As of 2008, the S1 project is still in the preliminary phases of design. The project calls for an eight-gate facility comprising of a 38,500 sq ft (3,580 m) passenger level and 32,000 sq ft (3,000 m) apron. A later phase of this project may include a 47,000 sq ft (4,400 m) basement. Additionally, a walkway connecting to the N1 concourse will be built. The city of Phoenix has not yet indicated what carrier will occupy the new concourse.
Airlines and destinations
 | |
US Airways/America West Airlines Airbus A319 Heritage aircraft at Terminal 4. |
 | |
A US Airways Boeing 737-300 and other US Airways planes at Concourse A - Terminal 4. |
 | |
Terminal 3 and the control tower seen from Concourse A at Terminal 4 |
 | |
Destinations with nonstop service from
Phoenix
[not up to date] |
- Note: International flights arrive at Terminal 4, Int'l Concourse B regardless of the airline's departure terminal.
| Airlines |
Destinations |
Terminal-Concourse |
| Aeroméxico Connect |
Hermosillo, Mexico City |
4 - B |
| Air Canada |
Toronto-Pearson
Seasonal: Calgary, Montréal-Trudeau [begins November 6] |
4 - B |
| AirTran Airways |
Atlanta
Seasonal: Milwaukee |
3 - North |
| Alaska Airlines |
Portland (OR), Seattle/Tacoma |
2 |
| American Airlines |
Chicago-O’Hare, Dallas/Fort Worth, Miami |
3 - South |
| British Airways |
London-Heathrow |
4 - B |
| Continental Airlines |
Cleveland, Houston-Intercontinental, Newark |
2 |
| Continental Express operated by ExpressJet Airlines |
Houston-Intercontinental |
2 |
| Delta Air Lines |
Atlanta, Cincinnati/Northern Kentucky, Detroit, Memphis, Minneapolis/St. Paul, New York-JFK, Salt Lake City |
3 - North |
| Delta Connection operated by Mesaba Airlines |
Memphis, Salt Lake City |
3 - North |
| Delta Connection operated by SkyWest Airlines |
Los Angeles [resumes March 3], Salt Lake City |
3 - North |
| Frontier Airlines |
Denver, Milwaukee |
3 - North |
| Frontier Airlines operated by Republic Airlines |
Denver |
3 - North |
| Great Lakes Airlines |
Farmington, Page, Show Low |
2 |
| Hawaiian Airlines |
Honolulu |
3 - South |
| JetBlue Airways |
Boston, New York-JFK |
3 - South |
| Southwest Airlines |
Albuquerque, Austin, Baltimore, Birmingham (AL), Boise [begins March 12], Boston, Buffalo, Burbank, Chicago-Midway, Columbus (OH), Denver, Detroit, El Paso, Fort Lauderdale [begins November 7], Houston-Hobby, Indianapolis, Kansas City, Las Vegas, Little Rock, Los Angeles, Louisville, Manchester (NH), Milwaukee, Minneapolis/St. Paul, Nashville, New Orleans, Oakland, Oklahoma City, Omaha, Ontario, Orange County, Orlando, Philadelphia, Pittsburgh, Portland (OR), Providence, Raleigh/Durham, Reno/Tahoe, Sacramento, St. Louis, Salt Lake City, San Antonio, San Diego, San Francisco, San Jose (CA), Seattle/Tacoma, Spokane [begins March 12], Tampa, Tulsa |
4 - C & D |
| Sun Country Airlines |
Minneapolis/St. Paul [seasonal] |
3 - North |
| United Airlines |
Chicago-O’Hare, Denver, San Francisco, Washington-Dulles |
2 |
| United Express operated by SkyWest Airlines |
Denver, Los Angeles, San Francisco |
2 |
| US Airways |
Albuquerque, Anchorage, Atlanta, Austin, Baltimore, Boise, Boston, Burbank, Cancún, Charlotte, Chicago-O’Hare, Columbus (OH), Dallas/Fort Worth, Denver, Detroit, Fort Lauderdale, Fresno, Guadalajara, Honolulu, Houston-Intercontinental, Indianapolis, Kahului, Kansas City, Kona, Las Vegas, Lihue, Los Angeles, Mazatlán, Mexico City, Milwaukee, Minneapolis/St. Paul, New York-JFK, Newark, Oakland, Omaha, Ontario, Orange County, Orlando, Philadelphia, Pittsburgh, Portland (OR), Puerto Vallarta, Reno/Tahoe, Sacramento, St. Louis, Salt Lake City, San Antonio, San Diego, San Francisco, San Jose (CA), San José del Cabo, Seattle/Tacoma, Spokane, Tampa, Tucson, Vancouver, Washington-Reagan
Seasonal: Acapulco, Ixtapa/Zihuantanejo, Manzanillo, Montego Bay, San José de Costa Rica |
4 - A & B |
| US Airways Express operated by Mesa Airlines |
Albuquerque, Austin, Bakersfield, Baltimore, Burbank, Calgary, Des Moines, Durango, Edmonton, El Paso, Flagstaff, Fresno, Grand Junction, Guadalajara, Guaymas, Hermosillo, Kansas City, Las Vegas, Long Beach, Los Angeles, Mazatlán, Memphis, Monterey, Oakland, Omaha, Ontario, Orange County, Palm Springs, Sacramento, Salt Lake City, San Antonio, San Diego, San José del Cabo, San Luis Obispo, Santa Barbara, Tucson, Yuma
Seasonal: Ixtapa/Zihuantanejo, Telluride |
4 - B |
| WestJet |
Calgary
Seasonal: Edmonton, Regina [begins December 18], Saskatoon [begins December 17], Vancouver, Winnipeg |
4 - B |
Statistics
Top Ten Busiest Domestic Routes Out of Sky Harbor International Airport
| Rank |
City |
Passengers per 12 months |
Top Carriers |
| 1 |
Denver, CO |
910,000 |
Frontier, Southwest, United, US Airways |
| 2 |
Las Vegas, NV |
754,000 |
Southwest, US Airways |
| 3 |
Los Angeles, CA |
653,000 |
Southwest, United, US Airways |
| 4 |
San Diego, CA |
621,000 |
Southwest, US Airways |
| 5 |
Chicago, IL (O'Hare) |
620,000 |
American, United, US Airways |
| 6 |
Atlanta, GA |
574,000 |
AirTran, Delta, US Airways |
| 7 |
Dallas/Fort Worth, TX |
568,000 |
American, US Airways |
| 8 |
Seattle, WA |
566,000 |
Alaska, Southwest, US Airways |
| 9 |
Salt Lake City, UT |
561,000 |
Delta, Southwest, US Airways |
| 10 |
Minneapolis/St. Paul, MN |
534,000 |
Delta, Sun Country, US Airways |
Other ServicesPHX is also home to Sky Harbor Air National Guard Base and its host wing, the 161st Air Refueling Wing (161 ARW), an Air Mobility Command (AMC)-gained unit of the Arizona Air National Guard. One of two flying units in the Arizona ANG, the 161 ARW currently flies the KC-135R Stratotanker aircraft. In addition to its domestic role as a National Guard unit, answering to the Governor of Arizona, the 161 ARW also performs both a stateside and overseas role as a USAF organization, supporting air refueling and air mobility missions worldwide.
Located on the south side of the airport, the current Sky Harbor ANGB is a comparatively new facility. As a result of growth and on-going expansion programs at PHX, a new ANG base was planned at the airport to replace a smaller, outmoded facility that stood in the way of airport construction. Plans were finally approved in 1995 and the new base was built during the latter part of that decade. The current Sky Harbor ANGB includes over 275,000 square feet (25,500 m) of facilities, pavement, and infrastructure and is one of the most modern facilities of its kind in the Air National Guard.
Over 1000 Air National Guard personnel are assigned to the 161 ARW, consisting of a combination of full-time Active Guard and Reserve (AGR) and Air Reserve Technician (ART) personnel, as well as part-time "traditional" air national guardsmen.
The above content comes from Wikipedia and is published under free licenses – click here to read more.

Phoenix Airport Information
Phoenix Airport is an important International focal point in Arizona
& for International passenger and cargo traffic. Located close
to the Luxury Phoenix Airport Hotel Best Western Inn of Tempe, the
Phoenix Airport is doorway to the valley of Sun in the state of
Arizona.
Phoenix Airport had witnessed outstanding growth
over the period of time; presently the Phoenix Sky Harbor International
Airport is served by 23 airlines connecting Phoenix to 89 cities
in US and 17 cities in Canada, Mexico and Europe.
Phoenix
Airport Stats:
On a typical day at Phoenix Sky Harbor Airport around 1,300 airliners
take off and land, 100,000 passengers pass through the terminals
and 913 tons of air cargo is handled.
Travel oriented Economic Contributions by
Phoenix Sky Harbor Airport:
Phoenix Sky Harbor has a significant contribution in bringing entire
Arizona State to the world. In 2003 passengers contributed $11.9
billion to the local economy and created 90,330 jobs in the Phoenix
metropolitan region across lodging, retailing, restaurants, and
other sectors.
More about Phoenix International Airport
:
Since 1990, Phoenix International Airport has witnessed a 32 percent
rise in the passengers. During 1999 the Phoenix Sky Harbor Airport
is ranked as the 12th busiest in US and 17th busiest Airport in
the world for passenger volume.
 |
Aeromexico (Kyrgyz Airways)
/ N802AM / Boeing 757-200 / flt#AMX879 MEX-PHX-VCV / Taxiing
for departure on Taxiway Romeo-to VCV for storage / August
7, 2004
(Click on the image to enlarge) |
Ongoing Expansions PHX Airport :
Expanded and developed over the years, the Phoenix airport can meet
ever-increasing demand for International and domestic airport services.
Aggressive expansion program is being carried out by City of Phoenix
Aviation Department at Phoenix Sky Harbor International Airport
and presently 78 construction projects are underway
Phoenix Airport Terminal Facility near Discount
Phoenix Airport Hotel:
The Phoenix Sky Harbor Airport terminal is situated at 3400 E Sky
Harbor Blvd, Suite 3300 Phoenix, 85034-4405 near Phoenix Airport
hotel, Best western Inn of Tempe.
Phoenix Airport & Airline Services:
Phoenix is very well connected internationally. Serving over 17
non-stop international destinations, Phoenix Airport is your gateway
to the world.
Today, major US International airlines viz, Aeromexico,
Air Canada, Alaska Airlines, America West, America West Express,
American, American Trans Air, Arizona Express, British Airways,
Continental, Delta, Delta Connection (Skywest Airlines), Frontier,
Great Lakes, JetBlue Airways, Hawaiian Airlines, Midwest Airlines,
Northwest, Southwest, Sun Country, TED (part of United), WestJet,
Westward Airways
 |
Express.Net / N307FV /
Airbus A300 / flt# XNA9307 GYR-PHX-MIA / Taxiing for departure
on Taxiway Echo, on lease to Express.Net / March 18, 2004
(Click on the image to enlarge) |
About Discount Phoenix Airport; Hotel Best
Western Inn of Tempe:
Best western Inn of Tempe is a discount Phoenix Airport hotel located
near Phoenix airport, 6 miles either direction from Phoenix &
Nampa. The 106-room Best western Inn of Tempe is Discount Phoenix
Airport hotel offers unique, luxurious and intimate Phoenix - Tempe
accommodations for your next romantic getaway, holiday retreat or
executive gathering near Phoenix International Airport.
Local Shuttle Service:
Best western Inn of Tempe also offers local shuttle service with
a charge.
 |
America West / Airbus A320
/ N659AW / Taxiing to Runway 25 on Taxiway Sierra / February
2003
(Click on the image to enlarge) |
Location & QuickFacts
|
FAA Information
Effective: |
2005-10-27 |
|
Airport Identifier: |
PHX |
|
Longitude/Latitude: |
112-00-41.7000W/33-26-03.4000N
-112.011583/33.434278 (Estimated) |
|
Elevation: |
1135 ft / 345.95 m (Surveyed) |
|
Land: |
2500 acres |
|
From nearest
city: |
3
nautical miles E of Phoenix, AZ |
|
Location: |
Maricopa County, AZ |
|
Magnetic Variation: |
12E (2000) |
Owner & Manager
|
Ownership: |
Publicly owned |
|
Owner: |
City Of Phoenix |
|
Address: |
3400 Sky Harbor Blvd
Phoenix, AZ 85034 |
|
Phone number: |
602-273-3316 |
|
Manager: |
David Krietor
AVIATION DIRECTOR. ARP OPERATIONS - JOHN SAWYER (602) 273-2766. |
|
Address: |
3400 Sky Harbor Blvd
Phoenix, AZ 85034 |
|
Phone number: |
602-273-3316 |
Airport Operations
and Facilities
|
Airport Use: |
Open to public |
|
Wind indicator: |
Yes |
|
Segmented
Circle: |
No |
|
Control Tower: |
Yes |
|
Attendance
Schedule: |
ALL/ALL/ALL |
|
Lighting Schedule: |
DUSK-DAWN |
|
Beacon Color: |
Clear-Green (lighted land airport) |
|
Landing fee
charge: |
No
OVERNIGHT PARKING FEE. |
|
Sectional
chart: |
Phoenix |
|
Region: |
AWP - Western-Pacific |
|
Boundary ARTCC: |
ZAB - Albuquerque |
|
Tie-in FSS: |
PRC - Prescott |
|
FSS on Airport: |
No |
|
FSS Phone: |
928-778-7810 |
|
FSS Toll Free: |
1-800-WX-BRIEF |
|
NOTAMs Facility: |
PHX (NOTAM-d service avaliable) |
|
Certification
type/date: |
DS 5/1973 |
|
Federal Agreements: |
NGRSY |
Airport Communications
Airport Services
|
Fuel available: |
100LLA |
|
Airframe Repair: |
MAJOR |
|
Power Plant
Repair: |
MAJOR |
|
Bottled Oxygen: |
HIGH/LOW |
|
Bulk Oxygen: |
HIGH/LOW |
Runway Information
Runway 07L/25R
|
Dimension: |
10300 x
150 ft / 3139.4 x 45.7 m |
|
Surface: |
ASPH,
Good Condition |
|
Surface Treatment: |
Saw-cut
or plastic Grooved |
|
Weight Limit: |
Single
wheel: 30000 lbs.
Dual wheel: 200000 lbs.
Dual tandem wheel: 400000 lbs.
Dual dual tandem wheel: 620000 lbs.
RY 07L/25R FAA STRENGTH EVALUATION DC-10-10 430000 LBS; DC-10-30/40 540000
LBS; L-1011-1 430000 LBS.
RY 08/26 FAA STRENGTH EVALUATION DC-10-10 505000 LBS; DC-10-30/40 500000 LBS;
L-1011-1 450000 LBS; AIRCRAFT UP TO DDTW 620000 LBS; DC-10-10 505000 LBS; DC
10-30/40 540000 LBS; L-1011-1 450000 LBS REGULARLY OPERATE ON RY. |
|
Edge Lights: |
High |
|
|
Runway 07L |
Runway 25R |
|
Longitude: |
112-01-37.5649W |
111-59-36.0454W |
|
Latitude: |
33-25-51.8088N |
33-25-51.7274N |
|
Elevation: |
1110.00 ft |
1134.00 ft |
|
Alignment: |
90 |
127 |
|
ILS
Type: |
ILS/DME |
|
|
Traffic
Pattern: |
Right |
Left |
|
Markings: |
Precision instrument, Good Condition |
Precision instrument, Good Condition |
|
VASI: |
|
6-box on left side
RY 25R VASI UPWIND TCH 90' GLIDE ANGLE 3.25 DEGS DOWNWIND
TCH 53' GLIDE ANGLE 3.00 DEGS. |
|
RVR
Equipment: |
touchdown |
rollout |
|
Approach
lights: |
MALSR |
|
|
Runway
End Identifier: |
No |
Yes |
|
Centerline
Lights: |
No |
No |
|
Touchdown
Lights: |
No |
No |
|
Obstruction: |
66
ft pole, 3200.0 ft from runway, 750 ft right of centerline,
45:1 slope to clear |
418
ft ant, 17582.0 ft from runway, 600 ft left of centerline,
41:1 slope to clear |
|
Runway 07R/25L
|
Dimension: |
7800 x 150
ft / 2377.4 x 45.7 m |
|
Surface: |
CONC,
Good Condition |
|
Surface Treatment: |
Saw-cut
or plastic Grooved |
|
Weight Limit: |
Single
wheel: 30000 lbs.
Dual wheel: 200000 lbs.
Dual tandem wheel: 400000 lbs.
Dual dual tandem wheel: 620000 lbs.
RY 07L/25R FAA STRENGTH EVALUATION DC-10-10 430000 LBS; DC-10-30/40
540000 LBS; L-1011-1 430000 LBS.
RY 08/26 FAA STRENGTH EVALUATION DC-10-10 505000 LBS; DC-10-30/40
500000 LBS; L-1011-1 450000 LBS; AIRCRAFT UP TO DDTW 620000
LBS; DC-10-10 505000 LBS; DC 10-30/40 540000 LBS; L-1011-1
450000 LBS REGULARLY OPERATE ON RY. |
|
Edge Lights: |
High |
|
|
Runway 07R |
Runway 25L |
|
Longitude: |
112-01-37.5673W |
112-00-05.5440W |
|
Latitude: |
33-25-43.8912N |
33-25-43.8360N |
|
Elevation: |
1111.00 ft |
1126.00 ft |
|
Alignment: |
90 |
127 |
|
ILS Type: |
ILS/DME |
ILS/DME |
|
Traffic Pattern: |
Left |
Left |
|
Markings: |
Precision instrument, Good Condition |
Precision instrument, Good Condition |
|
Crossing Height: |
75.00 ft |
64.00 ft |
|
VASI: |
4-light PAPI on left side |
4-light PAPI on left side |
|
Visual Glide Angle: |
3.00° |
3.00° |
|
Approach lights: |
MALSR |
MALSR |
|
Obstruction: |
33
ft pole, 900.0 ft from runway, 640 ft right of centerline,
20:1 slope to clear |
|
|
Runway 08/26
|
Dimension: |
11489 x
150 ft / 3501.8 x 45.7 m |
|
Surface: |
CONC,
Good Condition |
|
Surface Treatment: |
Saw-cut
or plastic Grooved |
|
Weight Limit: |
Single
wheel: 30000 lbs.
Dual wheel: 170000 lbs.
Dual tandem wheel: 280000 lbs.
Dual dual tandem wheel: 620000 lbs.
RY 07L/25R FAA STRENGTH EVALUATION DC-10-10 430000 LBS; DC-10-30/40
540000 LBS; L-1011-1 430000 LBS.
RY 08/26 FAA STRENGTH EVALUATION DC-10-10 505000 LBS; DC-10-30/40
500000 LBS; L-1011-1 450000 LBS; AIRCRAFT UP TO DDTW 620000
LBS; DC-10-10 505000 LBS; DC 10-30/40 540000 LBS; L-1011-1
450000 LBS REGULARLY OPERATE ON RY. |
|
Edge Lights: |
High |
|
|
Runway 08 |
Runway 26 |
|
Longitude: |
112-01-47.2574W |
111-59-31.6879W |
|
Latitude: |
33-26-27.0986N |
33-26-26.9641N |
|
Elevation: |
1111.00 ft |
1135.00 ft |
|
Alignment: |
90 |
127 |
|
ILS Type: |
ILS/DME |
ILS/DME |
|
Traffic Pattern: |
Left |
Right |
|
Markings: |
Precision instrument, Good Condition |
Precision instrument, Good Condition |
|
Crossing Height: |
71.00 ft |
70.00 ft |
|
Displaced threshold: |
898.00 ft |
0.00 ft |
|
VASI: |
4-light PAPI on left side |
4-light PAPI on left side |
|
Visual Glide Angle: |
3.00° |
3.00° |
|
Approach lights: |
MALSF |
|
|
Runway End Identifier: |
No |
Yes |
|
Centerline Lights: |
No |
No |
|
Touchdown Lights: |
No |
No |
|
Obstruction: |
15
ft bldg, 400.0 ft from runway, 400 ft left of centerline,
13:1 slope to clear |
9
ft road, 500.0 ft from runway, 550 ft right of centerline,
33:1 slope to clear |
|
Radio Navigation Aids
|
ID |
Type |
Name |
Ch |
Freq |
Var |
Dist |
|
SDL |
NDB |
Scottsdale |
|
224.00 |
12E |
12.8 nm |
|
FFZ |
NDB |
Falcon
Field |
|
281.00 |
12E |
14.1 nm |
|
CHD |
NDB |
Chandler |
|
407.00 |
12E |
14.4 nm |
|
LUF |
TACAN |
Luke |
077X |
|
13E |
19.5 nm |
|
PXR |
VORTAC |
Phoenix |
103X |
115.60 |
12E |
2.1 nm |
|
IWA |
VORTAC |
Willie |
080X |
113.30 |
13E |
19.7 nm |
|
TFD |
VORTAC |
Stanfield |
095X |
114.80 |
12E |
33.4 nm |
|
BXK |
VORTAC |
Buckeye |
043X |
110.60 |
14E |
40.8 nm |
|
GBN |
VORTAC |
Gila
Bend |
113X |
116.60 |
14E |
44.0 nm |
|
PHX |
VOT |
Phoenix
Sky Harbor |
|
109.00 |
|
0.2 nm |
Remarks
-
TXY A6 LTD TO 68000 GWT.
-
EXTENSIVE CONSTRUCTION TWYS/PAEW.
-
MIGRATORY BIRDS ON AND INVOF
ARPT DECEMBER - FEBRUARY.
-
NUMEROUS CRANES 351 FT AGL BTN
RYS 8/26 AND 07L/25R.
-
< ON
ESTABD UNTIL MSL 3000? ABOVE OR AT REMAIN OVER & LBS 12,500 ACFT TURBINE ALL
ATC BY ADZD>
-
< FM MI 5
LEAST LEG BASE>
-
<
PRODUCING REVENUE CERTAIN AND CLUBS TRAVEL CHARTERS; FOR>
-
TRAINING BY CIVIL TURBOJET
ACFT PROHIBITED EXCEPT PPR.
-
PAEW INVOF TERMINAL 4.
-
RY 26 DISTANCE MARKERS OTS
INDEFLY.
-
THERE ARE 4 FT DEEP TRENCHES
AND 4 FT HIGH PILES OF DIRT SOUTH OF TWY B.
Based Aircraft
|
Aircraft based on field: |
237 |
|
Single Engine Airplanes: |
118 |
|
Multi Engine Airplanes: |
39 |
|
Jet Engine Airplanes: |
55 |
|
Helicopters: |
15 |
|
Military: |
10 |
Major Carriers Serving This Airport
|
Southwest Airlines |
39.0% |
|
America
West Airlines |
37.5% |
|
United
Airlines |
4.0% |
|
Sky
West Airlines |
3.8% |
|
American Airlines |
2.9% |
|
Northwest Airlines |
2.8% |
|
Continental Airlines |
2.4% |
|
Delta
Air Lines |
2.1% |
|
Alaska
Airlines |
2.0% |
|
US
Airways |
1.8% |
Operational Statistics
|
Aircraft Operations: |
3107/Day |
|
Air Carrier: |
41.9% |
|
Air Taxi: |
6.8% |
|
General Aviation Local: |
2.4% |
|
General Aviation Itinerant: |
6.5% |
|
Military: |
0.4%
NG HAS LMTD TRANSIENT MAINT & PARKING. RON BY PRIOR PERMISSION NG. |
Phoenix Sky Harbor International Airport
Address:
Maricopa County, AZ
Tel:
602-273-3316
E-mail: ov107277@earthlink.net
URL: http://www.visitingphx.com/
Images and information placed above are from
http://www.airport-data.com/airport/PHX/
http://www.visitingphx.com/
http://www.phoenixskyharborairporthotel.com/
We
thank them for the data!
| General
Info |
| Country |
United
States |
| State |
ARIZONA
|
| FAA ID |
PHX |
| Latitude |
33-26-03.000N
|
| Longitude |
112-00-29.000W
|
| Elevation |
1135 feet
|
| Near City |
PHOENIX
|
We don't guarantee the information is fresh and accurate. The data may be wrong or outdated.
For more up-to-date information please refer to other sources.
|
 |